$575,000
Linnet RD
Wrightwood, CA, 92397
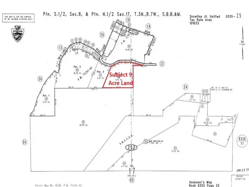
About 9 plus acre prime land located in Wrightwood California near Mountain High Ski Resort. This ski resort considered one of the most popular winter desalination for millions of visitors per year. Mountain High is the closest ski resort from LA, Orange and San Diego county. ZONED FOR HORSES!! A perfect location to build a mountain estate, ranch, vacation lodge, retreat center, religious worship center and more (Buyer to verify zoning). This property has breath taking mountain views and national Forrest. Seller was on the process of building a custom ranch home and many county required tests already completed which will save new buyer significant study cost. Only 3 minutes drive to down town Wrightwood a mountain town with many vacation motels, hotels, lodges, restaurants, super markets, many ski and bike shops. One of the largest build-able lot on the market. THIS GORGEOUS HILLSIDE IS LOCATED IN THE WRIGHTWOOD MOUNTAINS BORDERING THE COUNTRY CLUB. PERFECT FOR A BUILDER THAT WANTS TO BUILD HILLSIDE HOMES. BUYER TO VERIFY LAND USE WITH THE COUNTY OF SAN BERNARDINO AND ALL UTILITIES. Motivated Seller May offer Seller Financing.
Property Details
Price:
$575,000
MLS #:
HD26040345
Status:
Active
Beds:
0
Baths:
0
Type:
Land
Neighborhood:
wrwdwrightwood
Listed Date:
Feb 24, 2026
Lot Size:
399,880 sqft / 9.18 acres (approx)
Schools
Interior
Exterior
Community Features
MTN
View
MT
Financial
Get Out There, A Simply Outgoing Approach to Life. James Outland Jr. is one of those rare people who simply has an outgoing approach to life. No matter the activity… from dune buggy riding to skydiving to motorcycling to riding the local Pismo Beach waves… James Outland Jr. approaches life with a “just get out there and do it” kind of attitude. A zest for Life. James’ zest for life is obviously apparent in his many exciting hobbies. In his spare time, he loves riding dune buggies or hi…
More About JamesMortgage Calculator
Map
Current real estate data for Land in Wrightwood as of Apr 11, 2026
35
Land Listed
190
Avg DOM
$286,137
Avg List Price
Community
- AddressLinnet RD Wrightwood CA
- CityWrightwood
- CountySan Bernardino
- Zip Code92397
Similar Listings Nearby
Property Summary
- Linnet RD Wrightwood CA is a Land for sale in Wrightwood, CA, 92397. It is listed for $575,000 and features 9 acres. To schedule a showing of MLS#hd26040345 at Linnet RD in Wrightwood, CA, contact your James Outland agent at 8057482262.
Courtesy of Alam Realty. Disclaimer: All data relating to real estate for sale on this page comes from the Broker Reciprocity (BR) of the California Regional Multiple Listing Service. Detailed information about real estate listings held by brokerage firms other than James Outland include the name of the listing broker. Neither the listing company nor James Outland shall be responsible for any typographical errors, misinformation, misprints and shall be held totally harmless. The Broker providing this data believes it to be correct, but advises interested parties to confirm any item before relying on it in a purchase decision. Copyright 2026. California Regional Multiple Listing Service. All rights reserved. Linnet RD
Wrightwood, CA









