$57,600
B Acacia ST
Wildomar, CA, 92584
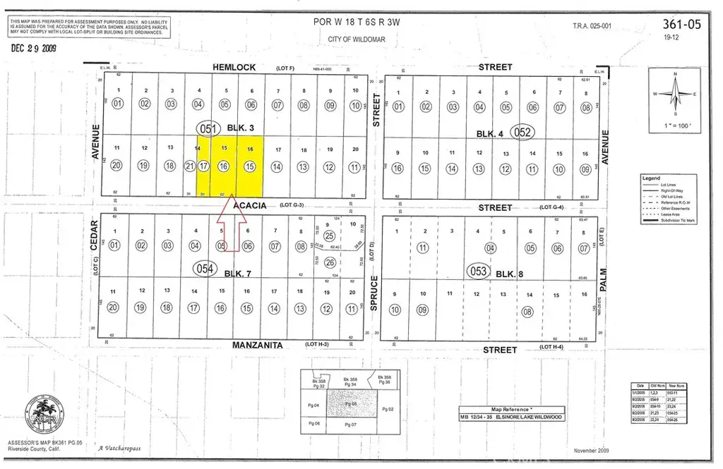
Exciting new listing! Offering a collection of 3 contiguous lots in the growing city of Wildomar, in Riverside County. Located north of the 15 Freeway and Cottonwood Acacia St., Power is nearby the topography varies from flat to gently rolling, offering scenic views and flexible development potential. Short drive to I-15, I-215, and Hwy 74, Proximity to Loma Linda University Medical Center, Mt. San Jacinto College, shopping centers, and schools. Located near Canyon Lake, Menifee, and Lake Elsinore. Whether you’re looking to develop one home or invest in multiple parcels, this is an excellent opportunity in one of Southern California’s fastest-growing regions. Enjoy privacy, convenience, and beautiful surroundings, not quite off the grid, but close to nature. Buyer to verify land use and development potential with the City of Wildomar Planning Department. APN: 361-051-015; 361-051-016; 361-051-017. Size: +/- 22,000 S.F; Zoning: RR; Terrain: Flat to rolling; GPS: 33.655138, -117.235228 (S.W Corner)
Property Details
Price:
$57,600
MLS #:
PW25170526
Status:
Active
Beds:
0
Baths:
0
Type:
Land
Neighborhood:
699notdefined
Listed Date:
Jul 29, 2025
Lot Size:
22,000 sqft / 0.51 acres (approx)
Schools
Interior
Exterior
Community Features
RUR, SUB
Financial
Get Out There, A Simply Outgoing Approach to Life. James Outland Jr. is one of those rare people who simply has an outgoing approach to life. No matter the activity… from dune buggy riding to skydiving to motorcycling to riding the local Pismo Beach waves… James Outland Jr. approaches life with a “just get out there and do it” kind of attitude. A zest for Life. James’ zest for life is obviously apparent in his many exciting hobbies. In his spare time, he loves riding dune buggies or hi…
More About JamesMortgage Calculator
Map
Community
- AddressB Acacia ST Wildomar CA
- CityWildomar
- CountyRiverside
- Zip Code92584
Similar Listings Nearby
Property Summary
- B Acacia ST Wildomar CA is a Land for sale in Wildomar, CA, 92584. It is listed for $57,600 and features 1 acres. To schedule a showing of MLS#pw25170526 at B Acacia ST in Wildomar, CA, contact your James Outland agent at 8057482262.
Courtesy of First Team Real Estate. Disclaimer: All data relating to real estate for sale on this page comes from the Broker Reciprocity (BR) of the California Regional Multiple Listing Service. Detailed information about real estate listings held by brokerage firms other than James Outland include the name of the listing broker. Neither the listing company nor James Outland shall be responsible for any typographical errors, misinformation, misprints and shall be held totally harmless. The Broker providing this data believes it to be correct, but advises interested parties to confirm any item before relying on it in a purchase decision. Copyright 2026. California Regional Multiple Listing Service. All rights reserved. B Acacia ST
Wildomar, CA















