$1,250,000
23250 Rancho Mirlo Road
Wildomar, CA, 92562
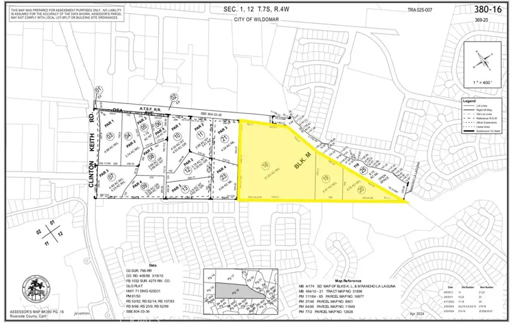
The offering consists of three legal parcels totaling approximately 30.35 acres of land located in the City of Wildomar on the border of Murrieta. The property is primarily flat, has the shape of a right triangle, and is accessible via Ranch Mirlo Road which is a dirt road off of Clinton Keith Road. Surrounding the property in all directions except north are existing and incoming single-family communities as well as a community park. Additionally, the property has an expired TTM that consisted of 51 single-family lots on about 16 of the 30 acres, with the remaining 14 acres designated as open space. The EVMWD has jurisdiction over the property for water and sewer utilities and provided ownership with will-serve letters for the expired map. EVMWD was going to allow the development to bore under the Murrieta Creek to connect to the water outlet in the adjacent D.R. Horton project. However, the sewer connection was going to come from the adjacent Copper Canyon Park which is serviced by the Rancho California Water District who agreed to the connection. The property has a zoning classification of Rural Residential (RR). However, in the recently adopted and updated General Plan, the entire +/- 30.35 acres has been designated as of Very Low Density Residential (VLDR). This allows for single-family detached residences at a density range of 1 dwelling unit per 1-2 acres, with 1 acre lots being the minimum and 2 acre lots being the maximum. Buyer to confirm. Please reach out with any questions.
Property Details
Price:
$1,250,000
MLS #:
IV25037912
Status:
Active
Beds:
0
Baths:
0
Type:
Land
Neighborhood:
srcarsouthwestriversidecounty
Listed Date:
May 29, 2025
Lot Size:
1,322,046 sqft / 30.35 acres (approx)
Schools
Interior
Exterior
Community Features
SUB
Financial
Get Out There, A Simply Outgoing Approach to Life. James Outland Jr. is one of those rare people who simply has an outgoing approach to life. No matter the activity… from dune buggy riding to skydiving to motorcycling to riding the local Pismo Beach waves… James Outland Jr. approaches life with a “just get out there and do it” kind of attitude. A zest for Life. James’ zest for life is obviously apparent in his many exciting hobbies. In his spare time, he loves riding dune buggies or hi…
More About JamesMortgage Calculator
Map
Community
- Address23250 Rancho Mirlo Road Wildomar CA
- CityWildomar
- CountyRiverside
- Zip Code92562
Similar Listings Nearby
Property Summary
- 23250 Rancho Mirlo Road Wildomar CA is a Land for sale in Wildomar, CA, 92562. It is listed for $1,250,000 and features 30 acres. To schedule a showing of MLS#iv25037912 at 23250 Rancho Mirlo Road in Wildomar, CA, contact your James Outland agent at 8057482262.
Courtesy of COLDWELL BANKER COMMERCIAL SC. Disclaimer: All data relating to real estate for sale on this page comes from the Broker Reciprocity (BR) of the California Regional Multiple Listing Service. Detailed information about real estate listings held by brokerage firms other than James Outland include the name of the listing broker. Neither the listing company nor James Outland shall be responsible for any typographical errors, misinformation, misprints and shall be held totally harmless. The Broker providing this data believes it to be correct, but advises interested parties to confirm any item before relying on it in a purchase decision. Copyright 2026. California Regional Multiple Listing Service. All rights reserved. 23250 Rancho Mirlo Road
Wildomar, CA







