$1,175,000
326 Plumosa Ave
Vista, CA, 92083
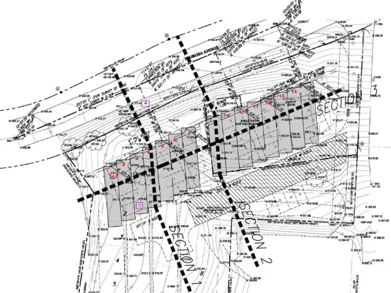
Proposed 15-Unit Townhome Site in Vista, CA | 1.05 AC land with existing 3br/2ba home | VR-15 Zoning (County of San Diego) with sewer service available through the City of Vista | Growth market with strong rental demand and limited supply, just 7 miles from the Pacific Ocean | Transit-oriented site less than 1 mile from the Sprinter Rail Line | Close proximity to downtown Vista, area retail and commercial services with convenient access to SR-78 Freeway | Considered one of San Diego’s strongest craft beer hubs! | Call Broker for access to plans and reports
Property Details
Price:
$1,175,000
MLS #:
250039174SD
Status:
Active
Beds:
3
Baths:
2
Type:
Single Family
Subtype:
Single Family Residence
Neighborhood:
92083vista
Listed Date:
Sep 17, 2025
Finished Sq Ft:
1,508
Year Built:
1972
Schools
Interior
Appliances
NO
Bathrooms
2 Full Bathrooms
Cooling
NO
Heating
GAS
Laundry Features
NO
Levels
A
Exterior
Construction Materials
STC
Fencing
NO
Parking Spots
2
Parking Total
2
Roof
CMP
Financial
Get Out There, A Simply Outgoing Approach to Life. James Outland Jr. is one of those rare people who simply has an outgoing approach to life. No matter the activity… from dune buggy riding to skydiving to motorcycling to riding the local Pismo Beach waves… James Outland Jr. approaches life with a “just get out there and do it” kind of attitude. A zest for Life. James’ zest for life is obviously apparent in his many exciting hobbies. In his spare time, he loves riding dune buggies or hi…
More About JamesMortgage Calculator
Map
Current real estate data for Single Family in Vista as of Apr 09, 2026
236
Single Family Listed
59
Avg DOM
433
Avg $ / SqFt
$1,004,946
Avg List Price
Community
- Address326 Plumosa Ave Vista CA
- CityVista
- CountySan Diego
- Zip Code92083
Similar Listings Nearby
Property Summary
- 326 Plumosa Ave Vista CA is a Single Family for sale in Vista, CA, 92083. It is listed for $1,175,000 and features 3 beds, 2 baths, and has approximately 1,508 square feet of living space, and was originally constructed in 1972. The current price per square foot is $779. The average price per square foot for Single Family listings in Vista is $433. The average listing price for Single Family in Vista is $1,004,946. To schedule a showing of MLS#250039174sd at 326 Plumosa Ave in Vista, CA, contact your James Outland agent at 8057482262.
Courtesy of Keller Williams Realty. Disclaimer: All data relating to real estate for sale on this page comes from the Broker Reciprocity (BR) of the California Regional Multiple Listing Service. Detailed information about real estate listings held by brokerage firms other than James Outland include the name of the listing broker. Neither the listing company nor James Outland shall be responsible for any typographical errors, misinformation, misprints and shall be held totally harmless. The Broker providing this data believes it to be correct, but advises interested parties to confirm any item before relying on it in a purchase decision. Copyright 2026. California Regional Multiple Listing Service. All rights reserved. 326 Plumosa Ave
Vista, CA


















