$1,071,315
Dante ST
Victorville, CA, 92394
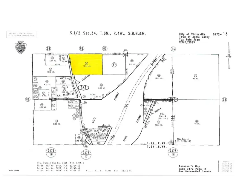
Located adjacent to the Northgate Village apartments, this 12.53 acre parcel is within the Desert Gateway Specific Plan in the City of Victorville. This Specific Plan is organized around a mixture of commercial and residential uses to encourage a transit orientated lifestyle. The proposed High Desert Corridor is to terminate/begin in this area as well as being located in the vicinity of the proposed Brightline high speed rail service from Apple Valley, CA to Las Vegas, NV.
Property Details
Price:
$1,071,315
MLS #:
HD22165825
Status:
Active
Beds:
0
Baths:
0
Type:
Land
Neighborhood:
vicvictorville
Listed Date:
Jul 27, 2022
Lot Size:
545,807 sqft / 12.53 acres (approx)
Schools
Interior
Exterior
Community Features
URB
Financial
Get Out There, A Simply Outgoing Approach to Life. James Outland Jr. is one of those rare people who simply has an outgoing approach to life. No matter the activity… from dune buggy riding to skydiving to motorcycling to riding the local Pismo Beach waves… James Outland Jr. approaches life with a “just get out there and do it” kind of attitude. A zest for Life. James’ zest for life is obviously apparent in his many exciting hobbies. In his spare time, he loves riding dune buggies or hi…
More About JamesMortgage Calculator
Map
Current real estate data for Land in Victorville as of Feb 14, 2026
274
Land Listed
188
Avg DOM
$495,611
Avg List Price
Community
- AddressDante ST Victorville CA
- CityVictorville
- CountySan Bernardino
- Zip Code92394
Similar Listings Nearby
Property Summary
- Dante ST Victorville CA is a Land for sale in Victorville, CA, 92394. It is listed for $1,071,315 and features 13 acres. To schedule a showing of MLS#hd22165825 at Dante ST in Victorville, CA, contact your James Outland agent at 8057482262.
Courtesy of Lee & Associates. Disclaimer: All data relating to real estate for sale on this page comes from the Broker Reciprocity (BR) of the California Regional Multiple Listing Service. Detailed information about real estate listings held by brokerage firms other than James Outland include the name of the listing broker. Neither the listing company nor James Outland shall be responsible for any typographical errors, misinformation, misprints and shall be held totally harmless. The Broker providing this data believes it to be correct, but advises interested parties to confirm any item before relying on it in a purchase decision. Copyright 2026. California Regional Multiple Listing Service. All rights reserved. Dante ST
Victorville, CA



