$1,650,000
Foothill BL Lot 77
Sylmar, CA, 91342
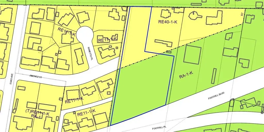
Rare 2.5-acre split-zoned parcel with Foothill Blvd frontage. Beautiful piece of land with mature shade trees, bordered by peaceful equestrian properties. Potential for multiple estate or residential homesites subject to City approvals. Large, irregular parcel with zoning boundary already established, providing flexibility in site planning, access, and future development. See ZIMAS zoning map in pictures. Ideal opportunity for developers or owner-builders seeking low-density residential development in an established hillside neighborhood just minutes from Burbank, Glendale and Hollywood. Commercial use or quasi-commercial use may be possible; current owner was able to obtain a conditional use permit to operate their nonprofit therapeutic riding program. Buyer to do their own investigations regarding development potential with the City of Los Angeles. Seller may carry.
Property Details
Price:
$1,650,000
MLS #:
SR25282438
Status:
Active
Beds:
0
Baths:
0
Type:
Land
Neighborhood:
sylsylmar
Listed Date:
Jan 1, 2026
Lot Size:
112,222 sqft / 2.58 acres (approx)
Schools
Interior
Exterior
Community Features
SUB
Financial
Get Out There, A Simply Outgoing Approach to Life. James Outland Jr. is one of those rare people who simply has an outgoing approach to life. No matter the activity… from dune buggy riding to skydiving to motorcycling to riding the local Pismo Beach waves… James Outland Jr. approaches life with a “just get out there and do it” kind of attitude. A zest for Life. James’ zest for life is obviously apparent in his many exciting hobbies. In his spare time, he loves riding dune buggies or hi…
More About JamesMortgage Calculator
Map
Community
- AddressFoothill BL Lot 77 Sylmar CA
- CitySylmar
- CountyLos Angeles
- Zip Code91342
Similar Listings Nearby
Property Summary
- Foothill BL Lot 77 Sylmar CA is a Land for sale in Sylmar, CA, 91342. It is listed for $1,650,000 and features 3 acres. To schedule a showing of MLS#sr25282438 at Foothill BL Lot 77 in Sylmar, CA, contact your James Outland agent at 8057482262.
Courtesy of Real Brokerage Technologies, Inc.. Disclaimer: All data relating to real estate for sale on this page comes from the Broker Reciprocity (BR) of the California Regional Multiple Listing Service. Detailed information about real estate listings held by brokerage firms other than James Outland include the name of the listing broker. Neither the listing company nor James Outland shall be responsible for any typographical errors, misinformation, misprints and shall be held totally harmless. The Broker providing this data believes it to be correct, but advises interested parties to confirm any item before relying on it in a purchase decision. Copyright 2026. California Regional Multiple Listing Service. All rights reserved. Foothill BL Lot 77
Sylmar, CA







































