$4,250,000
11942 Allegheny ST
Sun Valley, CA, 91352
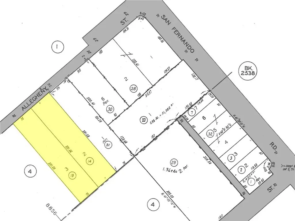
* PRICE REDUCED * The subject property is a ±1.14 acre industrial yard located at 11942-11950 Allegheny Street in the city of Sun Valley. This site is composed of two individual parcels of land with APNs #2631-003-014 & 015. The site is located on Allegheny Street just a block south of San Fernando Road and less than a mile north of the I-5 freeway.
The site is currently leased out to Best Trucking Services Inc. who has been a tenant since 2018. The term of their existing lease expires in February of 2028 at which time they will have one single remaining 5-year option. Best Trucking is currently paying $0.29 per square foot for the land at this time (gross lease), however the 5-year option lease rate will be at “Prevailing Market Rates” which is going to be an increase if they decide to stay.
There are two small houses on the property which can be used as offices. The houses are 1,150 square feet and 720 square feet and they were built in 1947. There is also a newer 900 square foot structure on site that is used as a garage. This property is flat and rectangular in shape with 150’ of frontage along Allegheny Street and a depth of 331′. The site is fully fenced and has two gated entry points along Allegheny Street.
Zoning on this site is [T][Q] M1-1-CUGU which is a Limited Industrial zoning classification. The General Plan Land Use is Limited Manufacturing. Height District 1 in the M1 zone allows for a FAR of 1.5:1 and does not indicate a height limit.
The subject property is surrounded by industrial buildings to the north and to the east along with several small to mid-sized multifamily buildings to the south along Allegheny Street. Directly across the street from the property is Allegheny Park which is a new 1-acre city public park, and the Alliance 6-12 Charter Public School.
M1 industrial sites of 1+ acres are very difficult to find in the San Fernando Valley and the market is extremely supply-restricted. This property should be of great interest to both investors and users looking to find an industrial site with great access to a major freeway.
The site is currently leased out to Best Trucking Services Inc. who has been a tenant since 2018. The term of their existing lease expires in February of 2028 at which time they will have one single remaining 5-year option. Best Trucking is currently paying $0.29 per square foot for the land at this time (gross lease), however the 5-year option lease rate will be at “Prevailing Market Rates” which is going to be an increase if they decide to stay.
There are two small houses on the property which can be used as offices. The houses are 1,150 square feet and 720 square feet and they were built in 1947. There is also a newer 900 square foot structure on site that is used as a garage. This property is flat and rectangular in shape with 150’ of frontage along Allegheny Street and a depth of 331′. The site is fully fenced and has two gated entry points along Allegheny Street.
Zoning on this site is [T][Q] M1-1-CUGU which is a Limited Industrial zoning classification. The General Plan Land Use is Limited Manufacturing. Height District 1 in the M1 zone allows for a FAR of 1.5:1 and does not indicate a height limit.
The subject property is surrounded by industrial buildings to the north and to the east along with several small to mid-sized multifamily buildings to the south along Allegheny Street. Directly across the street from the property is Allegheny Park which is a new 1-acre city public park, and the Alliance 6-12 Charter Public School.
M1 industrial sites of 1+ acres are very difficult to find in the San Fernando Valley and the market is extremely supply-restricted. This property should be of great interest to both investors and users looking to find an industrial site with great access to a major freeway.
Property Details
Price:
$4,250,000
MLS #:
PW25266253
Status:
Active
Beds:
0
Baths:
0
Type:
Land
Neighborhood:
sunvsunvalley
Listed Date:
Nov 25, 2025
Lot Size:
49,681 sqft / 1.14 acres (approx)
Schools
Interior
Exterior
Community Features
URB
View
PK
Financial
Get Out There, A Simply Outgoing Approach to Life. James Outland Jr. is one of those rare people who simply has an outgoing approach to life. No matter the activity… from dune buggy riding to skydiving to motorcycling to riding the local Pismo Beach waves… James Outland Jr. approaches life with a “just get out there and do it” kind of attitude. A zest for Life. James’ zest for life is obviously apparent in his many exciting hobbies. In his spare time, he loves riding dune buggies or hi…
More About JamesMortgage Calculator
Map
Current real estate data for Land in Sun Valley as of Apr 06, 2026
11
Land Listed
183
Avg DOM
$1,795,455
Avg List Price
Community
- Address11942 Allegheny ST Sun Valley CA
- CitySun Valley
- CountyLos Angeles
- Zip Code91352
Similar Listings Nearby
Property Summary
- 11942 Allegheny ST Sun Valley CA is a Land for sale in Sun Valley, CA, 91352. It is listed for $4,250,000 and features 1 acres. To schedule a showing of MLS#pw25266253 at 11942 Allegheny ST in Sun Valley, CA, contact your James Outland agent at 8057482262.
Courtesy of Marcus & Millichap. Disclaimer: All data relating to real estate for sale on this page comes from the Broker Reciprocity (BR) of the California Regional Multiple Listing Service. Detailed information about real estate listings held by brokerage firms other than James Outland include the name of the listing broker. Neither the listing company nor James Outland shall be responsible for any typographical errors, misinformation, misprints and shall be held totally harmless. The Broker providing this data believes it to be correct, but advises interested parties to confirm any item before relying on it in a purchase decision. Copyright 2026. California Regional Multiple Listing Service. All rights reserved. 11942 Allegheny ST
Sun Valley, CA
















