$9,450,000
Cajon Blvd
San Bernardino, CA, 92407
Discover a prime investment opportunity with over 54 acres of strategically located land nestled between the 15 Freeway and Cajon Boulevard in San Bernardino, California. Offering exceptional accessibility and visibility, this expansive property is ideal for a wide range of developments, including logistics, commercial, or industrial projects. With its proximity to major transportation corridors, including the Cajon Pass, and the vibrant Inland Empire region, this land presents unparalleled potential for growth and connectivity. Whether you’re looking to expand your portfolio or develop a game-changing project, this prime location offers a rare blend of opportunity and versatility.
Total of 54 acres on Westside of the I-15 fwy***ONLY***
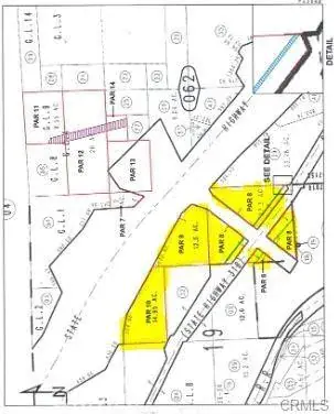
APN 0349-041-56-0000: Parcels 10 (14.95 ac), Parcel 9 (12.5 acres) & Parcel 8 (27.3 acres) only included in sale. See Plat Map Photo. Terms Available.
Total of 54 acres on Westside of the I-15 fwy***ONLY***
APN 0349-041-56-0000: Parcels 10 (14.95 ac), Parcel 9 (12.5 acres) & Parcel 8 (27.3 acres) only included in sale. See Plat Map Photo. Terms Available.
Property Details
Price:
$9,450,000
MLS #:
HD25268629
Status:
Active
Beds:
0
Baths:
0
Type:
Land
Neighborhood:
274sanbernardino
Listed Date:
Dec 9, 2025
Lot Size:
2,352,240 sqft / 54.00 acres (approx)
Schools
Interior
Exterior
Community Features
RUR, MTN
View
MT
Financial
Get Out There, A Simply Outgoing Approach to Life. James Outland Jr. is one of those rare people who simply has an outgoing approach to life. No matter the activity… from dune buggy riding to skydiving to motorcycling to riding the local Pismo Beach waves… James Outland Jr. approaches life with a “just get out there and do it” kind of attitude. A zest for Life. James’ zest for life is obviously apparent in his many exciting hobbies. In his spare time, he loves riding dune buggies or hi…
More About JamesMortgage Calculator
Map
Current real estate data for Land in San Bernardino as of Apr 08, 2026
113
Land Listed
228
Avg DOM
$907,389
Avg List Price
Community
- AddressCajon Blvd San Bernardino CA
- CitySan Bernardino
- CountySan Bernardino
- Zip Code92407
Similar Listings Nearby
Property Summary
- Cajon Blvd San Bernardino CA is a Land for sale in San Bernardino, CA, 92407. It is listed for $9,450,000 and features 54 acres. To schedule a showing of MLS#hd25268629 at Cajon Blvd in San Bernardino, CA, contact your James Outland agent at 8057482262.
Courtesy of Coldwell Banker Commercial Rea. Disclaimer: All data relating to real estate for sale on this page comes from the Broker Reciprocity (BR) of the California Regional Multiple Listing Service. Detailed information about real estate listings held by brokerage firms other than James Outland include the name of the listing broker. Neither the listing company nor James Outland shall be responsible for any typographical errors, misinformation, misprints and shall be held totally harmless. The Broker providing this data believes it to be correct, but advises interested parties to confirm any item before relying on it in a purchase decision. Copyright 2026. California Regional Multiple Listing Service. All rights reserved. Cajon Blvd
San Bernardino, CA








