$675,000
257 Highland
Riverside, CA, 92507
Calling all investors and developers. Rare infill opportunity located in the heart of the Northside Neighborhood within the Pellissier Ranch Specific Plan (see addendum for details). This is a true unicorn site fronting Center Street with secondary frontage on Highland Avenue.
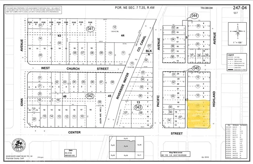
The site totals approximately 27,900 SF (±0.64 acres) with dimensions of roughly 186’ x 150’ and 150 feet of frontage on Center Street. Buyer to verify lot lines, site area, and development potential through independent due diligence under the associated APNs.
Offered at under $40/SF, this represents an exceptional land value for multi-family and mixed-use developers seeking scale in a high-demand growth corridor. The seller also owns additional parcels in the immediate area, presenting a potential assemblage opportunity for the right investor.
The existing single-family residence is in poor condition and requires extensive repairs. Tenant has been notified of the sale. Do not disturb occupants. Interior access may be arranged with an accepted offer.
The site totals approximately 27,900 SF (±0.64 acres) with dimensions of roughly 186’ x 150’ and 150 feet of frontage on Center Street. Buyer to verify lot lines, site area, and development potential through independent due diligence under the associated APNs.
Offered at under $40/SF, this represents an exceptional land value for multi-family and mixed-use developers seeking scale in a high-demand growth corridor. The seller also owns additional parcels in the immediate area, presenting a potential assemblage opportunity for the right investor.
The existing single-family residence is in poor condition and requires extensive repairs. Tenant has been notified of the sale. Do not disturb occupants. Interior access may be arranged with an accepted offer.
Property Details
Price:
$675,000
MLS #:
PW26010656
Status:
Active
Beds:
4
Baths:
1
Type:
Single Family
Subtype:
Single Family Residence
Neighborhood:
252riverside
Listed Date:
Jan 15, 2026
Finished Sq Ft:
988
Lot Size:
9,148 sqft / 0.21 acres (approx)
Year Built:
1902
Schools
School District:
Riverside Unified
Interior
Bathrooms
1 Full Bathroom
Cooling
NO
Heating
NO
Laundry Features
NO
Levels
U
Main Level Bathrooms
1
Main Level Bedrooms
1
Exterior
Common Walls
NCW
Community Features
SUB
View
NO
Financial
Get Out There, A Simply Outgoing Approach to Life. James Outland Jr. is one of those rare people who simply has an outgoing approach to life. No matter the activity… from dune buggy riding to skydiving to motorcycling to riding the local Pismo Beach waves… James Outland Jr. approaches life with a “just get out there and do it” kind of attitude. A zest for Life. James’ zest for life is obviously apparent in his many exciting hobbies. In his spare time, he loves riding dune buggies or hi…
More About JamesMortgage Calculator
Map
Current real estate data for Single Family in Riverside as of Apr 10, 2026
778
Single Family Listed
62
Avg DOM
321
Avg $ / SqFt
$731,435
Avg List Price
Community
- Address257 Highland Riverside CA
- CityRiverside
- CountyRiverside
- Zip Code92507
Similar Listings Nearby
Property Summary
- 257 Highland Riverside CA is a Single Family for sale in Riverside, CA, 92507. It is listed for $675,000 and features 4 beds, 1 baths, and has approximately 988 square feet of living space, and was originally constructed in 1902. The current price per square foot is $683. The average price per square foot for Single Family listings in Riverside is $321. The average listing price for Single Family in Riverside is $731,435. To schedule a showing of MLS#pw26010656 at 257 Highland in Riverside, CA, contact your James Outland agent at 8057482262.
Courtesy of T.Haan & Associates. Disclaimer: All data relating to real estate for sale on this page comes from the Broker Reciprocity (BR) of the California Regional Multiple Listing Service. Detailed information about real estate listings held by brokerage firms other than James Outland include the name of the listing broker. Neither the listing company nor James Outland shall be responsible for any typographical errors, misinformation, misprints and shall be held totally harmless. The Broker providing this data believes it to be correct, but advises interested parties to confirm any item before relying on it in a purchase decision. Copyright 2026. California Regional Multiple Listing Service. All rights reserved. 257 Highland
Riverside, CA

















