$145,000
Gobi Rd
Phelan, CA, 92371
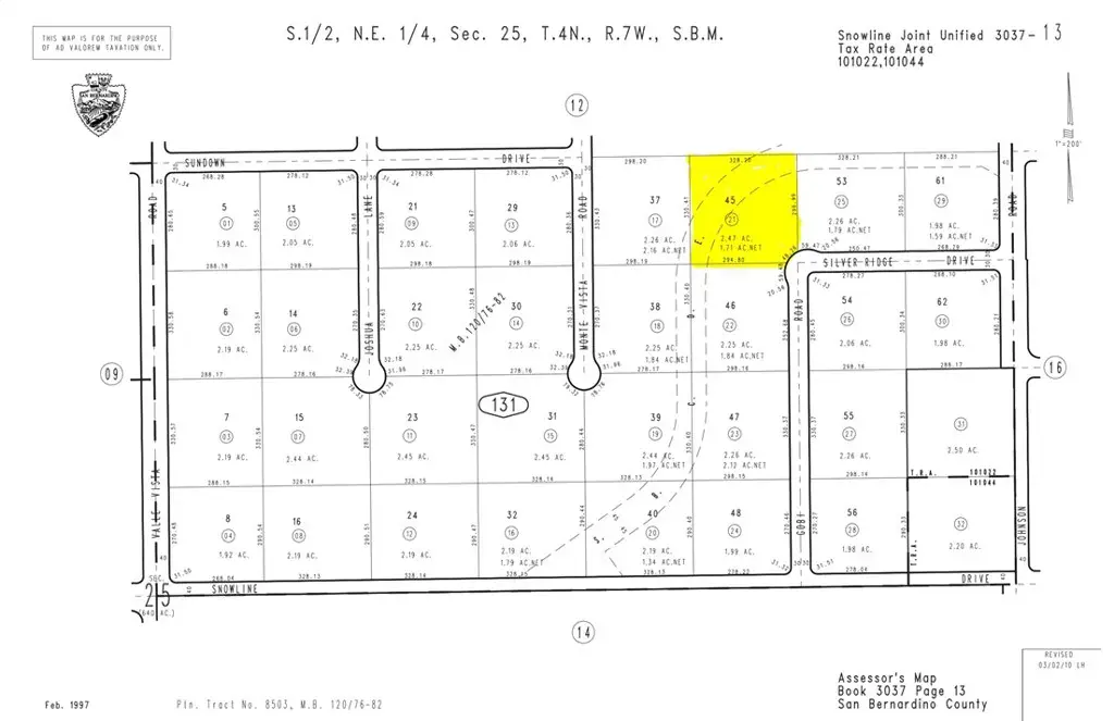
Build your vision on this 2.47-acre vacant lot located in Phelan, San Bernardino County, offering excellent potential for future residential or investment use.
The property includes water shares with Sheep Creek Water Company and owns an assigned water meter. The meter has not yet been installed due to the land being undeveloped, but installation and activation through the water company is straightforward once development begins — a valuable advantage for buyers planning to build.
Conveniently situated near local amenities and commuter routes, this parcel provides a balance of open space and accessibility, making it an attractive opportunity for custom home construction or long-term investment.
Seller will consider selling the adjacent developed lot in conjunction with this sale, offering additional flexibility and expansion potential.
Buyer to verify zoning, utilities, and development requirements with the County and utility providers.
The property includes water shares with Sheep Creek Water Company and owns an assigned water meter. The meter has not yet been installed due to the land being undeveloped, but installation and activation through the water company is straightforward once development begins — a valuable advantage for buyers planning to build.
Conveniently situated near local amenities and commuter routes, this parcel provides a balance of open space and accessibility, making it an attractive opportunity for custom home construction or long-term investment.
Seller will consider selling the adjacent developed lot in conjunction with this sale, offering additional flexibility and expansion potential.
Buyer to verify zoning, utilities, and development requirements with the County and utility providers.
Property Details
Price:
$145,000
MLS #:
SR26010575
Status:
Active
Beds:
0
Baths:
0
Type:
Land
Neighborhood:
phelphelan
Listed Date:
Jan 16, 2026
Lot Size:
74,487 sqft / 1.71 acres (approx)
Schools
Interior
Exterior
Community Features
URB
Financial
Get Out There, A Simply Outgoing Approach to Life. James Outland Jr. is one of those rare people who simply has an outgoing approach to life. No matter the activity… from dune buggy riding to skydiving to motorcycling to riding the local Pismo Beach waves… James Outland Jr. approaches life with a “just get out there and do it” kind of attitude. A zest for Life. James’ zest for life is obviously apparent in his many exciting hobbies. In his spare time, he loves riding dune buggies or hi…
More About JamesMortgage Calculator
Map
Community
- AddressGobi Rd Phelan CA
- CityPhelan
- CountySan Bernardino
- Zip Code92371
Similar Listings Nearby
Property Summary
- Gobi Rd Phelan CA is a Land for sale in Phelan, CA, 92371. It is listed for $145,000 and features 2 acres. To schedule a showing of MLS#sr26010575 at Gobi Rd in Phelan, CA, contact your James Outland agent at 8057482262.
Courtesy of Equity Union. Disclaimer: All data relating to real estate for sale on this page comes from the Broker Reciprocity (BR) of the California Regional Multiple Listing Service. Detailed information about real estate listings held by brokerage firms other than James Outland include the name of the listing broker. Neither the listing company nor James Outland shall be responsible for any typographical errors, misinformation, misprints and shall be held totally harmless. The Broker providing this data believes it to be correct, but advises interested parties to confirm any item before relying on it in a purchase decision. Copyright 2026. California Regional Multiple Listing Service. All rights reserved. Gobi Rd
Phelan, CA








