$435,000
4340 Phelan Rd #A-D ST
Phelan, CA, 92371
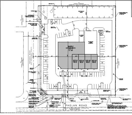
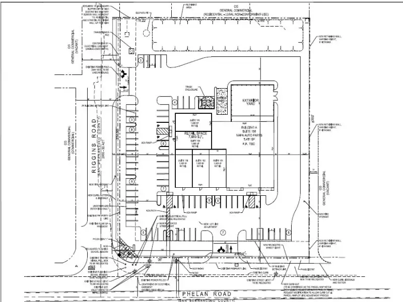
Positioned along Phelan Road, this 2.54-acre commercial parcel offers an exceptional opportunity in one of the High Desert’s fastest-growing corridors. The property provides easy access to major roadways and nearby amenities, ensuring both visibility and convenience—two critical drivers for long-term commercial success.
Zoned PH/CG (Commercial General), the site supports a wide variety of commercial uses, allowing developers flexibility to align with market demand. The inclusion of two water shares enhances development potential, while the area’s low vacancy rate underscores the strength of the local market and the need for new, well-positioned projects.
Adding to its value, preliminary work has already been completed for three distinct development concepts, all available for review—helping reduce upfront due diligence and accelerating timelines from acquisition to groundbreaking. This is a rare chance to control a versatile parcel in a proven growth market.
Zoned PH/CG (Commercial General), the site supports a wide variety of commercial uses, allowing developers flexibility to align with market demand. The inclusion of two water shares enhances development potential, while the area’s low vacancy rate underscores the strength of the local market and the need for new, well-positioned projects.
Adding to its value, preliminary work has already been completed for three distinct development concepts, all available for review—helping reduce upfront due diligence and accelerating timelines from acquisition to groundbreaking. This is a rare chance to control a versatile parcel in a proven growth market.
Property Details
Price:
$435,000
MLS #:
HD25020455
Status:
Active
Beds:
0
Baths:
0
Type:
Land
Neighborhood:
phelphelan
Listed Date:
Jan 27, 2026
Lot Size:
110,642 sqft / 2.54 acres (approx)
Schools
Interior
Exterior
Community Features
RUR
Financial
Get Out There, A Simply Outgoing Approach to Life. James Outland Jr. is one of those rare people who simply has an outgoing approach to life. No matter the activity… from dune buggy riding to skydiving to motorcycling to riding the local Pismo Beach waves… James Outland Jr. approaches life with a “just get out there and do it” kind of attitude. A zest for Life. James’ zest for life is obviously apparent in his many exciting hobbies. In his spare time, he loves riding dune buggies or hi…
More About JamesMortgage Calculator
Map
Community
- Address4340 Phelan Rd #A-D ST Phelan CA
- CityPhelan
- CountySan Bernardino
- Zip Code92371
Similar Listings Nearby
Property Summary
- 4340 Phelan Rd #A-D ST Phelan CA is a Land for sale in Phelan, CA, 92371. It is listed for $435,000 and features 3 acres. To schedule a showing of MLS#hd25020455 at 4340 Phelan Rd #A-D ST in Phelan, CA, contact your James Outland agent at 8057482262.
Courtesy of Coldwell Banker Commercial Rea. Disclaimer: All data relating to real estate for sale on this page comes from the Broker Reciprocity (BR) of the California Regional Multiple Listing Service. Detailed information about real estate listings held by brokerage firms other than James Outland include the name of the listing broker. Neither the listing company nor James Outland shall be responsible for any typographical errors, misinformation, misprints and shall be held totally harmless. The Broker providing this data believes it to be correct, but advises interested parties to confirm any item before relying on it in a purchase decision. Copyright 2026. California Regional Multiple Listing Service. All rights reserved. 4340 Phelan Rd #A-D ST
Phelan, CA










