$279,900
65th St East near Ave R-4 AV
Palmdale, CA, 93553
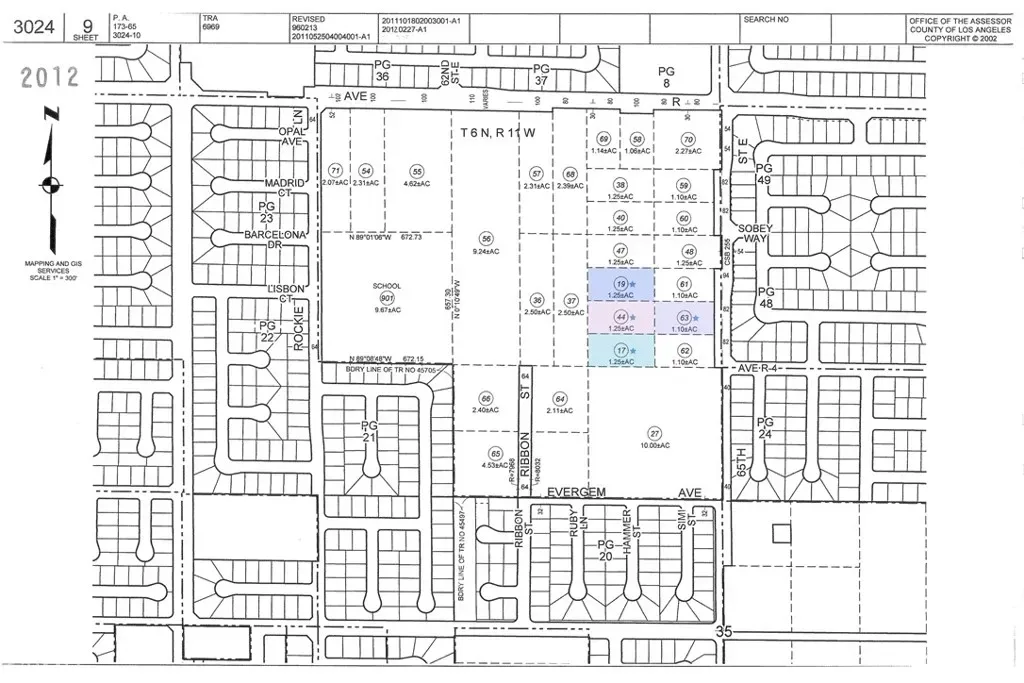
A builder’s bundle! Four contiguous parcels totaling just under 5 acres in a prime East Palmdale location within walking distance of schools and park. Paved street frontage with water and electricity along 65th Street, sewer in the street at Ave R-4, and nice existing homes all around. A great opportunity with the potential to build one home, four homes – or subdivide for more! Zoned Single-Family Residential 3 (SFR 3), intended for detached single-family subdivisions containing the City’s standard 7,000 square foot minimum lot size (at a maximum of six dwelling units per acre). Check with the City of Palmdale Planning Department for more information on possible uses for these parcels. Includes APNs 3024-009-017, 3024-009-019, 3024-009-044 and 3024-009-063. Package priced for a cash sale. Fantastic potential in a great location! *Buyer to make their own independent investigations regarding Zoning & General Plan Designations, Environmental & Hazard Zones, Access & Development Costs, Availability & Costs of Utilities.
Property Details
Price:
$279,900
MLS #:
SR24201397
Status:
Active
Beds:
0
Baths:
0
Type:
Land
Neighborhood:
plmpalmdale
Listed Date:
Sep 27, 2024
Lot Size:
211,266 sqft / 4.85 acres (approx)
Schools
Interior
Exterior
Community Features
RUR
View
NE
Financial
Get Out There, A Simply Outgoing Approach to Life. James Outland Jr. is one of those rare people who simply has an outgoing approach to life. No matter the activity… from dune buggy riding to skydiving to motorcycling to riding the local Pismo Beach waves… James Outland Jr. approaches life with a “just get out there and do it” kind of attitude. A zest for Life. James’ zest for life is obviously apparent in his many exciting hobbies. In his spare time, he loves riding dune buggies or hi…
More About JamesMortgage Calculator
Map
Community
- Address65th St East near Ave R-4 AV Palmdale CA
- CityPalmdale
- CountyLos Angeles
- Zip Code93553
Similar Listings Nearby
Property Summary
- 65th St East near Ave R-4 AV Palmdale CA is a Land for sale in Palmdale, CA, 93553. It is listed for $279,900 and features 5 acres. To schedule a showing of MLS#sr24201397 at 65th St East near Ave R-4 AV in Palmdale, CA, contact your James Outland agent at 8057482262.
Courtesy of Big Valley Real Estate. Disclaimer: All data relating to real estate for sale on this page comes from the Broker Reciprocity (BR) of the California Regional Multiple Listing Service. Detailed information about real estate listings held by brokerage firms other than James Outland include the name of the listing broker. Neither the listing company nor James Outland shall be responsible for any typographical errors, misinformation, misprints and shall be held totally harmless. The Broker providing this data believes it to be correct, but advises interested parties to confirm any item before relying on it in a purchase decision. Copyright 2026. California Regional Multiple Listing Service. All rights reserved. 65th St East near Ave R-4 AV
Palmdale, CA





































