Property Details
Schools
Interior
Exterior
Financial
Get Out There, A Simply Outgoing Approach to Life. James Outland Jr. is one of those rare people who simply has an outgoing approach to life. No matter the activity… from dune buggy riding to skydiving to motorcycling to riding the local Pismo Beach waves… James Outland Jr. approaches life with a “just get out there and do it” kind of attitude. A zest for Life. James’ zest for life is obviously apparent in his many exciting hobbies. In his spare time, he loves riding dune buggies or hi…
More About JamesMortgage Calculator
Map
Community
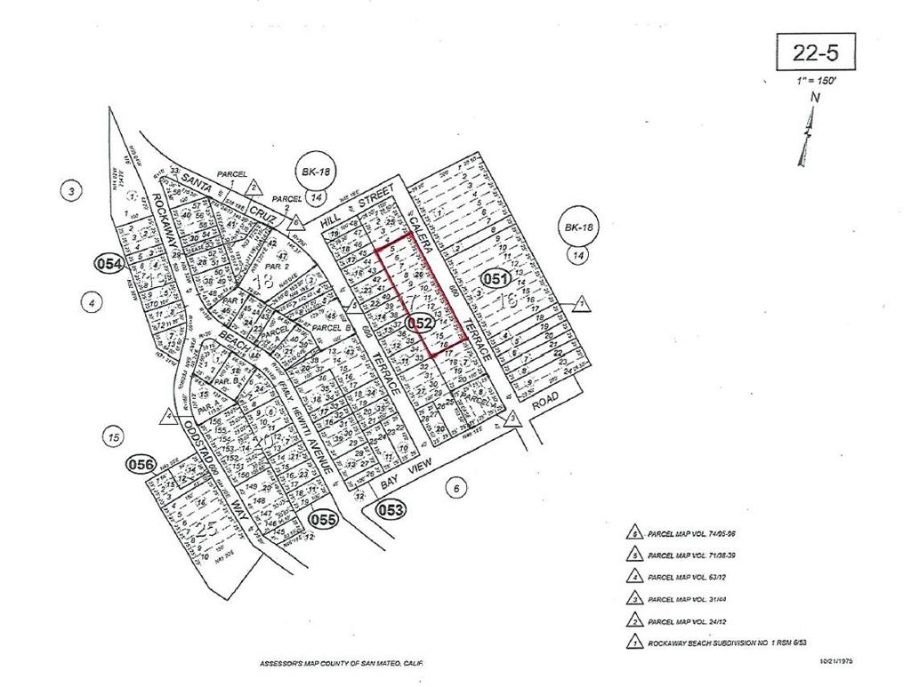
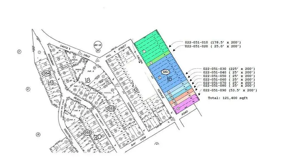
- AddressCalera TE Pacifica CA
- CityPacifica
- CountySan Mateo
- Zip Code94044
Similar Listings Nearby
Property Summary
- Calera TE Pacifica CA is a Land for sale in Pacifica, CA, 94044. It is listed for $5,999,000 and features 3 acres. To schedule a showing of MLS#ml82028895 at Calera TE in Pacifica, CA, contact your James Outland agent at 8057482262.
Courtesy of KW Advisors. Disclaimer: All data relating to real estate for sale on this page comes from the Broker Reciprocity (BR) of the California Regional Multiple Listing Service. Detailed information about real estate listings held by brokerage firms other than James Outland include the name of the listing broker. Neither the listing company nor James Outland shall be responsible for any typographical errors, misinformation, misprints and shall be held totally harmless. The Broker providing this data believes it to be correct, but advises interested parties to confirm any item before relying on it in a purchase decision. Copyright 2026. California Regional Multiple Listing Service. All rights reserved. Property Details
Schools
Interior
Exterior
Financial
Get Out There, A Simply Outgoing Approach to Life. James Outland Jr. is one of those rare people who simply has an outgoing approach to life. No matter the activity… from dune buggy riding to skydiving to motorcycling to riding the local Pismo Beach waves… James Outland Jr. approaches life with a “just get out there and do it” kind of attitude. A zest for Life. James’ zest for life is obviously apparent in his many exciting hobbies. In his spare time, he loves riding dune buggies or hi…
More About JamesMortgage Calculator
Map
Community
- AddressCalera TE Pacifica CA
- CityPacifica
- CountySan Mateo
- Zip Code94044
Similar Listings Nearby
Property Summary
- Calera TE Pacifica CA is a Land for sale in Pacifica, CA, 94044. It is listed for $1,599,000 and features 1 acres. To schedule a showing of MLS#ml82039911 at Calera TE in Pacifica, CA, contact your James Outland agent at 8057482262.
Property Details
Schools
Interior
Exterior
Financial
Get Out There, A Simply Outgoing Approach to Life. James Outland Jr. is one of those rare people who simply has an outgoing approach to life. No matter the activity… from dune buggy riding to skydiving to motorcycling to riding the local Pismo Beach waves… James Outland Jr. approaches life with a “just get out there and do it” kind of attitude. A zest for Life. James’ zest for life is obviously apparent in his many exciting hobbies. In his spare time, he loves riding dune buggies or hi…
More About JamesMortgage Calculator
Map
Community
- AddressCalera TE Pacifica CA
- CityPacifica
- CountySan Mateo
- Zip Code94044
Similar Listings Nearby
Property Summary
- Calera TE Pacifica CA is a Land for sale in Pacifica, CA, 94044. It is listed for $1,999,000 and features 1 acres. To schedule a showing of MLS#ml82040433 at Calera TE in Pacifica, CA, contact your James Outland agent at 8057482262.



















