$470,000
Ac. Rosewood Blvd. & 58 FW
Mojave, CA, 93501
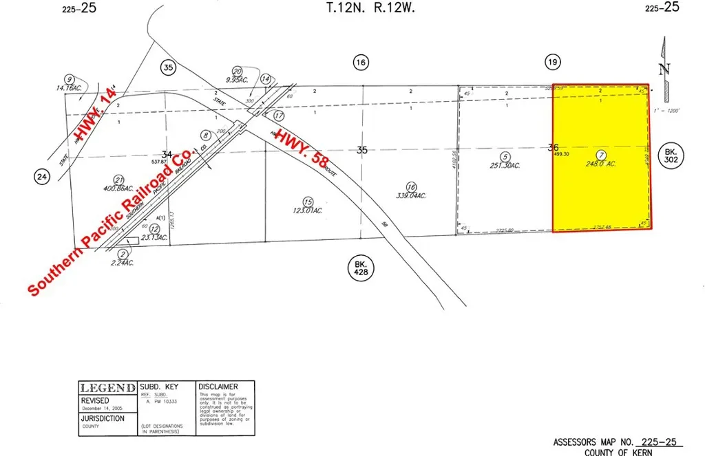
The listing price is for 40% share of 248+/- Acres of Vacant Industrial Land Zoned M-3 (Heavy Industrial) located Northeast of State Hwy. 58 and Hwy. 14 and Northwest of Hyundai Motor Group California Proving Ground, Mojave Air and Spaceport is to the Southwest. It has 2750′ Frontage on Rosewood Blvd. and 3932′ frontage on 20th St., Snake Ave goes through the property. Hwy. 14 is less than 2 miles away which gives you easy access to Rosamond, Lancaster, and Palmdale. Ideal for Cannabis, solar farming, truck stop, etc…
You may google the following GPS coordinates to locate the subject: 35.095181 -118.103267
You may google the following GPS coordinates to locate the subject: 35.095181 -118.103267
Property Details
Price:
$470,000
MLS #:
SR23158281
Status:
Active
Beds:
0
Baths:
0
Type:
Land
Neighborhood:
mojvmojave
Listed Date:
Aug 23, 2023
Lot Size:
10,802,880 sqft / 248.00 acres (approx)
Schools
Interior
Exterior
Community Features
RUR
View
MT, NE
Financial
Lease Land Amount
$9,000
Lease Land Frequency
MO
Get Out There, A Simply Outgoing Approach to Life. James Outland Jr. is one of those rare people who simply has an outgoing approach to life. No matter the activity… from dune buggy riding to skydiving to motorcycling to riding the local Pismo Beach waves… James Outland Jr. approaches life with a “just get out there and do it” kind of attitude. A zest for Life. James’ zest for life is obviously apparent in his many exciting hobbies. In his spare time, he loves riding dune buggies or hi…
More About JamesMortgage Calculator
Map
Community
- AddressAc. Rosewood Blvd. & 58 FW Mojave CA
- CityMojave
- CountyKern
- Zip Code93501
Similar Listings Nearby
Property Summary
- Ac. Rosewood Blvd. & 58 FW Mojave CA is a Land for sale in Mojave, CA, 93501. It is listed for $470,000 and features 248 acres. To schedule a showing of MLS#sr23158281 at Ac. Rosewood Blvd. & 58 FW in Mojave, CA, contact your James Outland agent at 8057482262.
Courtesy of Rich Estate Props. Disclaimer: All data relating to real estate for sale on this page comes from the Broker Reciprocity (BR) of the California Regional Multiple Listing Service. Detailed information about real estate listings held by brokerage firms other than James Outland include the name of the listing broker. Neither the listing company nor James Outland shall be responsible for any typographical errors, misinformation, misprints and shall be held totally harmless. The Broker providing this data believes it to be correct, but advises interested parties to confirm any item before relying on it in a purchase decision. Copyright 2026. California Regional Multiple Listing Service. All rights reserved. Ac. Rosewood Blvd. & 58 FW
Mojave, CA











