$49,000
2420 N Bushrod LN
Los Angeles, CA, 90077
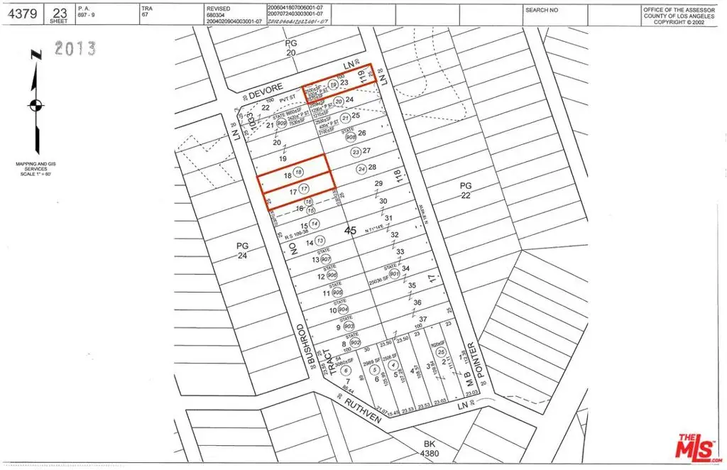
APN 4379-023-017, 018, & 019. Unique opportunity to acquire three lots sold together in prime Bel Air, totaling appx 7,523 SF and zoned LARE40. Two of the lots are contiguous, totaling 5,014 SF, while the third lot (appx 2,509 SF) is located nearby. Situated in one of Los Angeles’ most sought-after neighborhoods, these lots offer a tranquil setting just a short drive from Sunset Boulevard, with easy access to Beverly Hills, West LA, Century City, and Brentwood. Please note: these are paper street lots, meaning they currently do not have direct road access. To develop, a buyer would need to pave a road from the nearest access point on Bushrod Lane to the property. Ideal for a visionary investor or builder looking to secure a foothold in Bel Air with long-term potential.
Property Details
Price:
$49,000
MLS #:
25536903
Status:
Active
Beds:
0
Baths:
0
Type:
Land
Neighborhood:
c04belairholmbyhills
Listed Date:
May 9, 2025
Lot Size:
7,523 sqft / 0.17 acres (approx)
Schools
Interior
Exterior
View
CN
Financial
Get Out There, A Simply Outgoing Approach to Life. James Outland Jr. is one of those rare people who simply has an outgoing approach to life. No matter the activity… from dune buggy riding to skydiving to motorcycling to riding the local Pismo Beach waves… James Outland Jr. approaches life with a “just get out there and do it” kind of attitude. A zest for Life. James’ zest for life is obviously apparent in his many exciting hobbies. In his spare time, he loves riding dune buggies or hi…
More About JamesMortgage Calculator
Map
Current real estate data for Land in Los Angeles as of Apr 08, 2026
461
Land Listed
155
Avg DOM
$1,588,569
Avg List Price
Community
- Address2420 N Bushrod LN Los Angeles CA
- CityLos Angeles
- CountyLos Angeles
- Zip Code90077
Similar Listings Nearby
Property Summary
- 2420 N Bushrod LN Los Angeles CA is a Land for sale in Los Angeles, CA, 90077. It is listed for $49,000 and features 0 acres. To schedule a showing of MLS#25536903 at 2420 N Bushrod LN in Los Angeles, CA, contact your James Outland agent at 8057482262.
Courtesy of Keller Williams Beverly Hills. Disclaimer: All data relating to real estate for sale on this page comes from the Broker Reciprocity (BR) of the California Regional Multiple Listing Service. Detailed information about real estate listings held by brokerage firms other than James Outland include the name of the listing broker. Neither the listing company nor James Outland shall be responsible for any typographical errors, misinformation, misprints and shall be held totally harmless. The Broker providing this data believes it to be correct, but advises interested parties to confirm any item before relying on it in a purchase decision. Copyright 2026. California Regional Multiple Listing Service. All rights reserved. 2420 N Bushrod LN
Los Angeles, CA





