$19,900
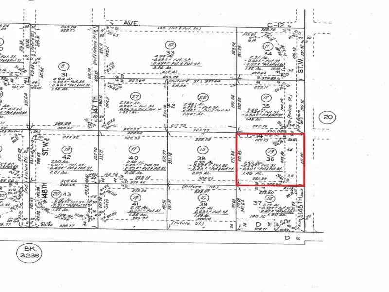
Corner W Ave C14/145th St W Lot 36
Lancaster, CA, 93536
Affordable land parcel in the western Antelope Valley, with a close-in location! This land parcel is believed to have access easements for future streets on 2 sides of the property, representing 145th St W and W Ave C-14 (see attached parcel map-buyer to verify). This would then allow for the future owner of this land parcel to access and utilize the land without any easements. This parcel is only 1 parcel over from Ave D/Hwy 138, and there are powerlines running along the street. This land is in a scenic area of rolling plains and ranch homes. The location is great, as it’s very close to Antelope Acres and not a far drive from Lancaster. The time spent on dirt roads would be minimal. This may be a great location to camp, go off-roading, install a mobile home, build a house, store trucks, or start a small farm. This is a great opportunity to acquire a land parcel on the westside at an affordable price, and it may be a good long-term investment due to its proximity to Hwy 138 and the future streets. Don’t miss out!
Property Details
Price:
$19,900
MLS #:
SR26033422
Status:
Active
Beds:
0
Baths:
0
Type:
Land
Neighborhood:
laclancaster
Listed Date:
Feb 13, 2026
Lot Size:
108,999 sqft / 2.50 acres (approx)
Schools
Interior
Exterior
Community Features
RUR, SUB
View
MT
Financial
Get Out There, A Simply Outgoing Approach to Life. James Outland Jr. is one of those rare people who simply has an outgoing approach to life. No matter the activity… from dune buggy riding to skydiving to motorcycling to riding the local Pismo Beach waves… James Outland Jr. approaches life with a “just get out there and do it” kind of attitude. A zest for Life. James’ zest for life is obviously apparent in his many exciting hobbies. In his spare time, he loves riding dune buggies or hi…
More About JamesMortgage Calculator
Map
Community
- AddressCorner W Ave C14/145th St W Lot 36 Lancaster CA
- CityLancaster
- CountyLos Angeles
- Zip Code93536
Similar Listings Nearby
Property Summary
- Corner W Ave C14/145th St W Lot 36 Lancaster CA is a Land for sale in Lancaster, CA, 93536. It is listed for $19,900 and features 3 acres. To schedule a showing of MLS#sr26033422 at Corner W Ave C14/145th St W Lot 36 in Lancaster, CA, contact your James Outland agent at 8057482262.
Courtesy of Castlestone Properties, Inc.. Disclaimer: All data relating to real estate for sale on this page comes from the Broker Reciprocity (BR) of the California Regional Multiple Listing Service. Detailed information about real estate listings held by brokerage firms other than James Outland include the name of the listing broker. Neither the listing company nor James Outland shall be responsible for any typographical errors, misinformation, misprints and shall be held totally harmless. The Broker providing this data believes it to be correct, but advises interested parties to confirm any item before relying on it in a purchase decision. Copyright 2026. California Regional Multiple Listing Service. All rights reserved. Corner W Ave C14/145th St W Lot 36
Lancaster, CA






