$40,000
155 E/Vic (Nog)
Lake Los Angeles, CA, 93535
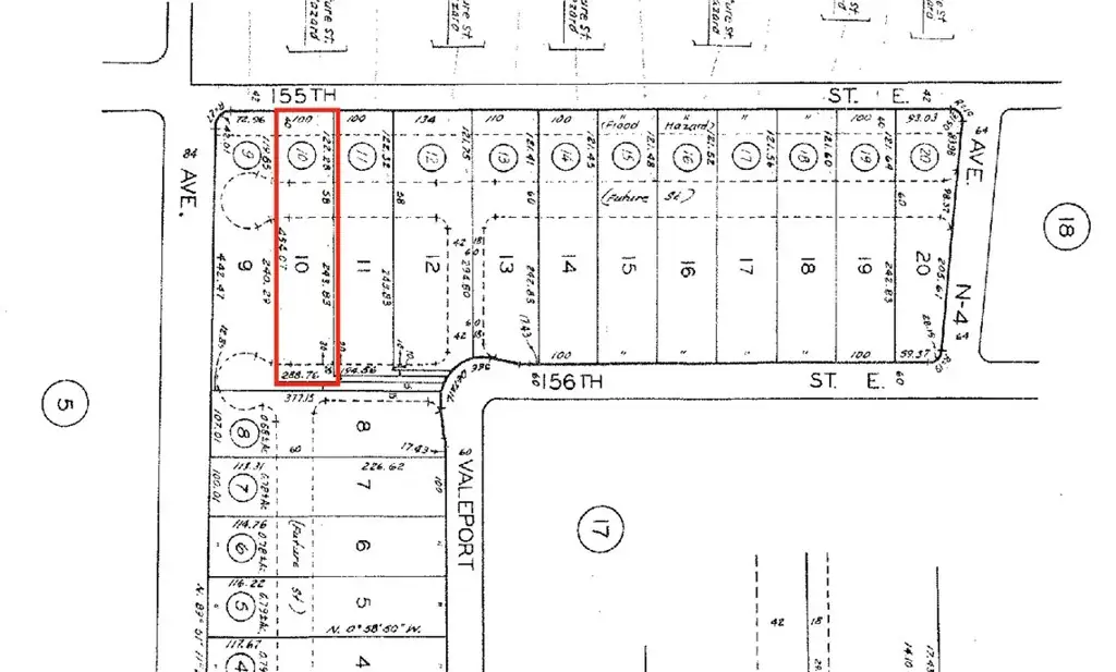
Discover the perfect opportunity to build your dream home or invest in the growing community of Lake Los Angeles! This spacious 47,263 sq. ft. (over an acre) lot offers endless potential for your future plans. Enjoy peaceful desert living with stunning mountain views and easy access to major roads, nearby schools, and shopping. Whether you’re looking to create your private retreat or hold for future development, this property is ready for your vision.
Property Details
Price:
$40,000
MLS #:
SR25247392
Status:
Active
Beds:
0
Baths:
0
Type:
Land
Neighborhood:
lkllakelosangeles
Listed Date:
Oct 26, 2025
Lot Size:
47,358 sqft / 1.09 acres (approx)
Schools
Interior
Exterior
Community Features
RUR
View
NE
Financial
Get Out There, A Simply Outgoing Approach to Life. James Outland Jr. is one of those rare people who simply has an outgoing approach to life. No matter the activity… from dune buggy riding to skydiving to motorcycling to riding the local Pismo Beach waves… James Outland Jr. approaches life with a “just get out there and do it” kind of attitude. A zest for Life. James’ zest for life is obviously apparent in his many exciting hobbies. In his spare time, he loves riding dune buggies or hi…
More About JamesMortgage Calculator
Map
Current real estate data for Land in Lake Los Angeles as of Apr 12, 2026
17
Land Listed
226
Avg DOM
$57,438
Avg List Price
Community
- Address155 E/Vic (Nog) Lake Los Angeles CA
- CityLake Los Angeles
- CountyLos Angeles
- Zip Code93535
Similar Listings Nearby
Property Summary
- 155 E/Vic (Nog) Lake Los Angeles CA is a Land for sale in Lake Los Angeles, CA, 93535. It is listed for $40,000 and features 1 acres. To schedule a showing of MLS#sr25247392 at 155 E/Vic (Nog) in Lake Los Angeles, CA, contact your James Outland agent at 8057482262.
Courtesy of San Fernando Realty, Inc.. Disclaimer: All data relating to real estate for sale on this page comes from the Broker Reciprocity (BR) of the California Regional Multiple Listing Service. Detailed information about real estate listings held by brokerage firms other than James Outland include the name of the listing broker. Neither the listing company nor James Outland shall be responsible for any typographical errors, misinformation, misprints and shall be held totally harmless. The Broker providing this data believes it to be correct, but advises interested parties to confirm any item before relying on it in a purchase decision. Copyright 2026. California Regional Multiple Listing Service. All rights reserved. 155 E/Vic (Nog)
Lake Los Angeles, CA





