$88,500
Hill AV
Lake Elsinore, CA, 92530
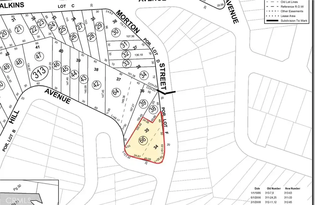
This is a great piece of land with a water meter attached to kickstart the building of your dream home, which is not far from the lake or stores. The seller has already surveyed the property as well. About a 12-minute walk from the lake, a 5-10 minute drive from grocery stores and gas stations, and about 5 minutes away from the 15 Fwy. See it while it lasts! Buyers are to do their own diligence.
Property Details
Price:
$88,500
MLS #:
IV25019850
Status:
Active
Beds:
0
Baths:
0
Type:
Land
Neighborhood:
699notdefined
Listed Date:
Jan 6, 2026
Lot Size:
11,761 sqft / 0.27 acres (approx)
Schools
Interior
Exterior
Community Features
LAKE
Financial
Get Out There, A Simply Outgoing Approach to Life. James Outland Jr. is one of those rare people who simply has an outgoing approach to life. No matter the activity… from dune buggy riding to skydiving to motorcycling to riding the local Pismo Beach waves… James Outland Jr. approaches life with a “just get out there and do it” kind of attitude. A zest for Life. James’ zest for life is obviously apparent in his many exciting hobbies. In his spare time, he loves riding dune buggies or hi…
More About JamesMortgage Calculator
Map
Current real estate data for Land in Lake Elsinore as of Feb 14, 2026
344
Land Listed
152
Avg DOM
$351,369
Avg List Price
Community
- AddressHill AV Lake Elsinore CA
- CityLake Elsinore
- CountyRiverside
- Zip Code92530
Similar Listings Nearby
Property Summary
- Hill AV Lake Elsinore CA is a Land for sale in Lake Elsinore, CA, 92530. It is listed for $88,500 and features 0 acres. To schedule a showing of MLS#iv25019850 at Hill AV in Lake Elsinore, CA, contact your James Outland agent at 8057482262.
Courtesy of Quality Real Estate Corp.. Disclaimer: All data relating to real estate for sale on this page comes from the Broker Reciprocity (BR) of the California Regional Multiple Listing Service. Detailed information about real estate listings held by brokerage firms other than James Outland include the name of the listing broker. Neither the listing company nor James Outland shall be responsible for any typographical errors, misinformation, misprints and shall be held totally harmless. The Broker providing this data believes it to be correct, but advises interested parties to confirm any item before relying on it in a purchase decision. Copyright 2026. California Regional Multiple Listing Service. All rights reserved. Hill AV
Lake Elsinore, CA



