$1,190,000
Sandpiper Ave / Bobolink St. Lot 9
Indio, CA, 92201
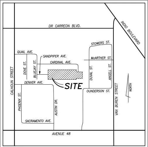
Spectacular Residential Development Opportunity! 5.67 Acres, Flat Vacant Land in the Heart of Booming Indio, California, the City of Festivals! Final Tract Map #34668 Approved for 34 Single Family 2 Story Detached Homes with 2 Car Garage and Approved Negative Dec! Located in a Redevelopment Zone & Zoned SN-8, Suburban Neighborhood High. Zoning allows for a Junior ADU to be Attached to about Half the Homes as well! South of Hwy 111 near Avenue 48 & Calhoun St. Two Paved Roads For Access & All Utilities Available! (Buyer to Verify) Seller Motivated & Will Offer Owner Financing! Model Home A (18 Dwellings) Totals 2,485 SF + 430 SF Garage + 79 SF Porch. Model Home B (16 Dwellings) Totals 2,410 SF + 451 SF Garage + 79 SF Porch. Home + Tract Map Plans & Soils Report Available. Just 3 Miles from the Empire & El Dorado Polo Fields home of the World Famous Coachella + Stagecoach Music Festivals & many more! Near New Shopping Centers, the Indio Fashion Mall, El Paseo, Old Town La Quinta & the Indio Fairgrounds -Date Festival Site. Minutes from the Fantasy Springs Casino, Spotlight 29 Casino, Augustine Casino, Eagle Falls Golf Course, Thermal Airport + Race Track & Indian Wells Tennis Gardens! Located Near Many High End Country Clubs & Other Resort Cities of Palm Springs & Palm Desert! Riverside County APN #612-170-007.
Property Details
Price:
$1,190,000
MLS #:
219142925DA
Status:
Active
Beds:
0
Baths:
0
Type:
Land
Listed Date:
Feb 11, 2026
Lot Size:
246,985 sqft / 5.67 acres (approx)
Schools
Interior
Exterior
Financial
Get Out There, A Simply Outgoing Approach to Life. James Outland Jr. is one of those rare people who simply has an outgoing approach to life. No matter the activity… from dune buggy riding to skydiving to motorcycling to riding the local Pismo Beach waves… James Outland Jr. approaches life with a “just get out there and do it” kind of attitude. A zest for Life. James’ zest for life is obviously apparent in his many exciting hobbies. In his spare time, he loves riding dune buggies or hi…
More About JamesMortgage Calculator
Map
Community
- AddressSandpiper Ave / Bobolink St. Lot 9 Indio CA
- SubdivisionNot Applicable-1
- CityIndio
- CountyRiverside
- Zip Code92201
Similar Listings Nearby
Property Summary
- Located in the Not Applicable-1 subdivision, Sandpiper Ave / Bobolink St. Lot 9 Indio CA is a Land for sale in Indio, CA, 92201. It is listed for $1,190,000 and features 6 acres. To schedule a showing of MLS#219142925da at Sandpiper Ave / Bobolink St. Lot 9 in Indio, CA, contact your James Outland agent at 8057482262.
Courtesy of American Pacific Investments. Disclaimer: All data relating to real estate for sale on this page comes from the Broker Reciprocity (BR) of the California Regional Multiple Listing Service. Detailed information about real estate listings held by brokerage firms other than James Outland include the name of the listing broker. Neither the listing company nor James Outland shall be responsible for any typographical errors, misinformation, misprints and shall be held totally harmless. The Broker providing this data believes it to be correct, but advises interested parties to confirm any item before relying on it in a purchase decision. Copyright 2026. California Regional Multiple Listing Service. All rights reserved. Sandpiper Ave / Bobolink St. Lot 9
Indio, CA




















































































