$400,000
16801 Mauna Loa E ST
Hesperia, CA, 92396
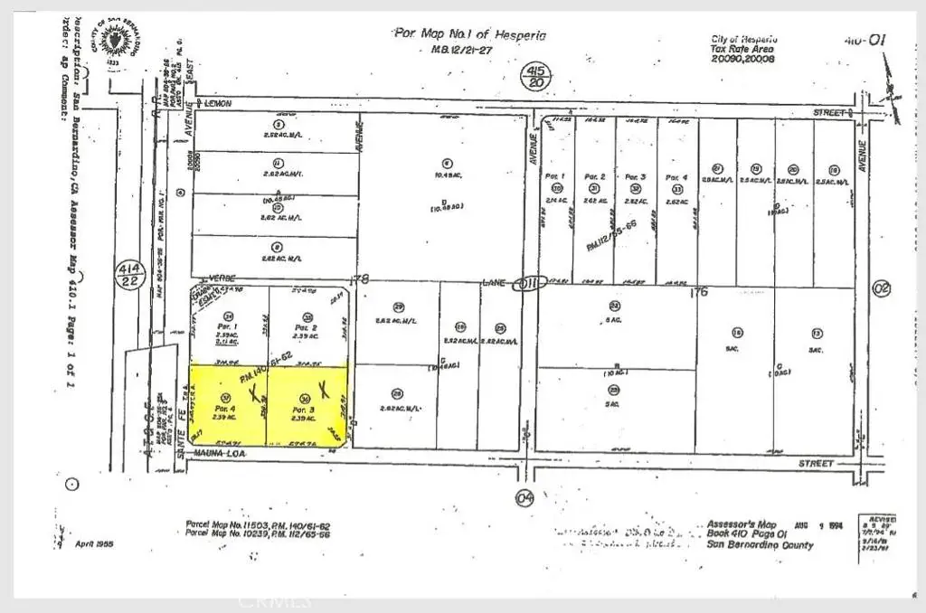
This listing consist of 2 double corner level lots zoned M1/M2 Industrial total of 208217 Square feet, with potential access to rail road and easy access to interstate 15 via main street.
Property Details
Price:
$400,000
MLS #:
524156
Status:
Active
Beds:
0
Baths:
0
Type:
Land
Subtype:
Industrial
Listed Date:
Dec 21, 2025
Lot Size:
208,217 sqft / 4.78 acres (approx)
Schools
Interior
Exterior
View
NO
Financial
HOA Fee
$1
Get Out There, A Simply Outgoing Approach to Life. James Outland Jr. is one of those rare people who simply has an outgoing approach to life. No matter the activity… from dune buggy riding to skydiving to motorcycling to riding the local Pismo Beach waves… James Outland Jr. approaches life with a “just get out there and do it” kind of attitude. A zest for Life. James’ zest for life is obviously apparent in his many exciting hobbies. In his spare time, he loves riding dune buggies or hi…
More About JamesMortgage Calculator
Map
Community
- Address16801 Mauna Loa E ST Hesperia CA
- CityHesperia
- CountySan Bernardino
- Zip Code92396
Similar Listings Nearby
Property Summary
- 16801 Mauna Loa E ST Hesperia CA is a Land for sale in Hesperia, CA, 92396. It is listed for $400,000 and features 5 acres. To schedule a showing of MLS#524156 at 16801 Mauna Loa E ST in Hesperia, CA, contact your James Outland agent at 8057482262.
Courtesy of J.P. & Associate. Disclaimer: All data relating to real estate for sale on this page comes from the Broker Reciprocity (BR) of the California Regional Multiple Listing Service. Detailed information about real estate listings held by brokerage firms other than James Outland include the name of the listing broker. Neither the listing company nor James Outland shall be responsible for any typographical errors, misinformation, misprints and shall be held totally harmless. The Broker providing this data believes it to be correct, but advises interested parties to confirm any item before relying on it in a purchase decision. Copyright 2026. California Regional Multiple Listing Service. All rights reserved. 16801 Mauna Loa E ST
Hesperia, CA



