$79,000
London LN
Cambria, CA, 93428
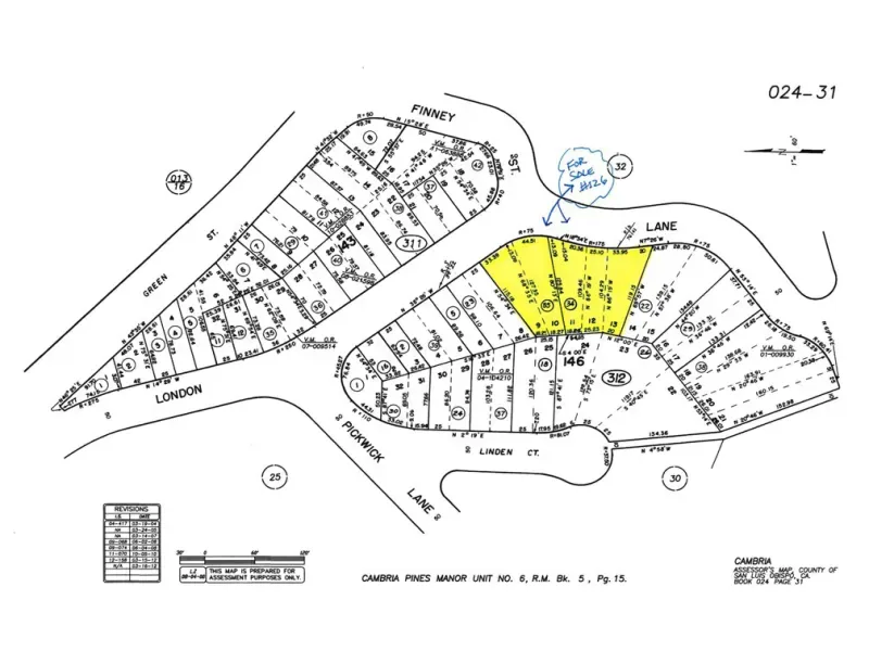
Big Green Valley Views and #126 on CCSD water wait list! 2 Legal Parcels sold together total of +-18,882 sqft. Low traffic, paved road, open sunny location with Forever views of pasture land and the Santa Lucia Mountains. Offered for $79,000.
Property Details
Price:
$79,000
MLS #:
SC26009465
Status:
Active
Beds:
0
Baths:
0
Type:
Land
Subtype:
Water Position With Land
Subdivision:
Lodge Hill430
Neighborhood:
cambcambria
Listed Date:
Jan 14, 2026
Lot Size:
18,882 sqft / 0.43 acres (approx)
Schools
Interior
Exterior
Community Features
RUR, HIKI
View
HI, MT, PA, VA
Financial
Get Out There, A Simply Outgoing Approach to Life. James Outland Jr. is one of those rare people who simply has an outgoing approach to life. No matter the activity… from dune buggy riding to skydiving to motorcycling to riding the local Pismo Beach waves… James Outland Jr. approaches life with a “just get out there and do it” kind of attitude. A zest for Life. James’ zest for life is obviously apparent in his many exciting hobbies. In his spare time, he loves riding dune buggies or hi…
More About JamesMortgage Calculator
Map
Community
- AddressLondon LN Cambria CA
- SubdivisionLodge Hill(430)
- CityCambria
- CountySan Luis Obispo
- Zip Code93428
Similar Listings Nearby
Property Summary
- Located in the Lodge Hill(430) subdivision, London LN Cambria CA is a Land for sale in Cambria, CA, 93428. It is listed for $79,000 and features 0 acres. To schedule a showing of MLS#sc26009465 at London LN in Cambria, CA, contact your James Outland agent at 8057482262.
Courtesy of Jack Posemsky Real Estate. Disclaimer: All data relating to real estate for sale on this page comes from the Broker Reciprocity (BR) of the California Regional Multiple Listing Service. Detailed information about real estate listings held by brokerage firms other than James Outland include the name of the listing broker. Neither the listing company nor James Outland shall be responsible for any typographical errors, misinformation, misprints and shall be held totally harmless. The Broker providing this data believes it to be correct, but advises interested parties to confirm any item before relying on it in a purchase decision. Copyright 2026. California Regional Multiple Listing Service. All rights reserved. London LN
Cambria, CA












