$565,000
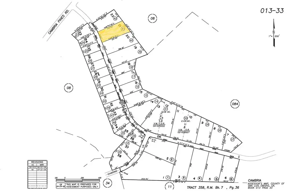
Buckley Lot 21
Cambria, CA, 93428
A rare offering in Cambria’s desirable Leimert Estates, this level 1.08± acre parcel presents an exceptional opportunity to secure land with grandfathered CCSD water rights and a meter already in the ground. Set among established homes and larger parcels, the property offers a sense of space, privacy, and quiet presence. The usable, level topography provides a versatile canvas for thoughtful future design and long-term vision. Opportunities to secure land for future building or generational planning in Cambria are limited. This unique parcel represents a meaningful foothold in one of the Central Coast’s most enduring coastal communities. Buyer to verify all aspects of development potential, water use, and applicable County and Coastal requirements.
Property Details
Price:
$565,000
MLS #:
SC26044441
Status:
Active
Beds:
0
Baths:
0
Type:
Land
Subdivision:
Leimert420
Neighborhood:
cambcambria
Listed Date:
Mar 4, 2026
Lot Size:
47,045 sqft / 1.08 acres (approx)
Schools
Interior
Exterior
Community Features
RUR, PSV, PARK, WATE, HIKI, BIKI, DGP
Fencing
NO
View
PE, TW, NE
Financial
Tax Year
2026
Taxes
$417
Get Out There, A Simply Outgoing Approach to Life. James Outland Jr. is one of those rare people who simply has an outgoing approach to life. No matter the activity… from dune buggy riding to skydiving to motorcycling to riding the local Pismo Beach waves… James Outland Jr. approaches life with a “just get out there and do it” kind of attitude. A zest for Life. James’ zest for life is obviously apparent in his many exciting hobbies. In his spare time, he loves riding dune buggies or hi…
More About JamesMortgage Calculator
Map
Community
- AddressBuckley Lot 21 Cambria CA
- SubdivisionLeimert(420)
- CityCambria
- CountySan Luis Obispo
- Zip Code93428
Similar Listings Nearby
Property Summary
- Located in the Leimert(420) subdivision, Buckley Lot 21 Cambria CA is a Land for sale in Cambria, CA, 93428. It is listed for $565,000 and features 1 acres. To schedule a showing of MLS#sc26044441 at Buckley Lot 21 in Cambria, CA, contact your James Outland agent at 8057482262.
Courtesy of Central Coast Sotheby’s International Realty. Disclaimer: All data relating to real estate for sale on this page comes from the Broker Reciprocity (BR) of the California Regional Multiple Listing Service. Detailed information about real estate listings held by brokerage firms other than James Outland include the name of the listing broker. Neither the listing company nor James Outland shall be responsible for any typographical errors, misinformation, misprints and shall be held totally harmless. The Broker providing this data believes it to be correct, but advises interested parties to confirm any item before relying on it in a purchase decision. Copyright 2026. California Regional Multiple Listing Service. All rights reserved. Buckley Lot 21
Cambria, CA











