$35,000
Evelyn AV Lot 201
California City, CA, 93505
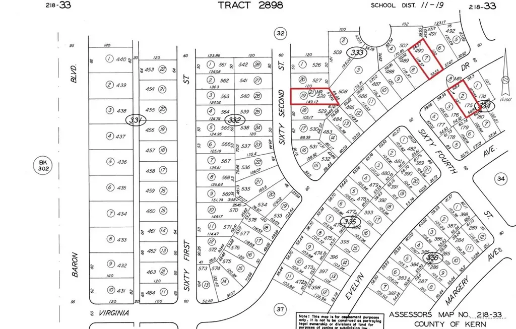
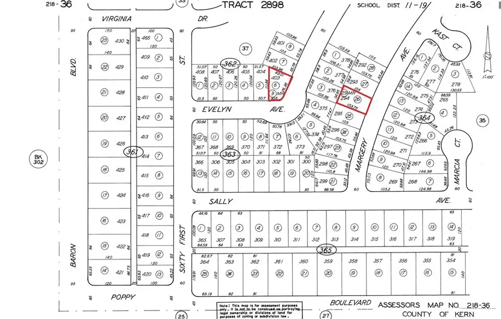
For sale is 1+- acre divided into 7 different lots (not connected). All are zoned as R1 and have water to the lot lines. Buyer to verify water and other utilities. The price listed is for all 7 lots. The 7 lots are:
APN: 218-342-14 on Evelyn Ave: 6104 sq ft
APN: 218-362-06 on Evelyn Ave: 5936 sq ft
APN: 218-363-26 on Margery Ave: 6302 sq Ft
APN: 218-325-14 on Alice St: 4586 sq ft
APN: 218-333-07 on Virginia Dr: 7083 sq ft
APN: 218-333-19 on 62nd St: 7023 sq ft
APN: 218-334-02 on Virginia Dr: 5845 sq ft
APN: 218-342-14 on Evelyn Ave: 6104 sq ft
APN: 218-362-06 on Evelyn Ave: 5936 sq ft
APN: 218-363-26 on Margery Ave: 6302 sq Ft
APN: 218-325-14 on Alice St: 4586 sq ft
APN: 218-333-07 on Virginia Dr: 7083 sq ft
APN: 218-333-19 on 62nd St: 7023 sq ft
APN: 218-334-02 on Virginia Dr: 5845 sq ft
Property Details
Price:
$35,000
MLS #:
HD25273693
Status:
Active
Beds:
0
Baths:
0
Type:
Land
Neighborhood:
caccaliforniacity
Listed Date:
Dec 9, 2025
Lot Size:
42,880 sqft / 0.98 acres (approx)
Schools
Interior
Exterior
Community Features
GOLF
View
VA
Financial
Get Out There, A Simply Outgoing Approach to Life. James Outland Jr. is one of those rare people who simply has an outgoing approach to life. No matter the activity… from dune buggy riding to skydiving to motorcycling to riding the local Pismo Beach waves… James Outland Jr. approaches life with a “just get out there and do it” kind of attitude. A zest for Life. James’ zest for life is obviously apparent in his many exciting hobbies. In his spare time, he loves riding dune buggies or hi…
More About JamesMortgage Calculator
Map
Current real estate data for Land in California City as of Apr 07, 2026
387
Land Listed
304
Avg DOM
$53,477
Avg List Price
Community
- AddressEvelyn AV Lot 201 California City CA
- CityCalifornia City
- CountyKern
- Zip Code93505
Similar Listings Nearby
Property Summary
- Evelyn AV Lot 201 California City CA is a Land for sale in California City, CA, 93505. It is listed for $35,000 and features 1 acres. To schedule a showing of MLS#hd25273693 at Evelyn AV Lot 201 in California City, CA, contact your James Outland agent at 8057482262.
Courtesy of Bancorp One, Inc.. Disclaimer: All data relating to real estate for sale on this page comes from the Broker Reciprocity (BR) of the California Regional Multiple Listing Service. Detailed information about real estate listings held by brokerage firms other than James Outland include the name of the listing broker. Neither the listing company nor James Outland shall be responsible for any typographical errors, misinformation, misprints and shall be held totally harmless. The Broker providing this data believes it to be correct, but advises interested parties to confirm any item before relying on it in a purchase decision. Copyright 2026. California Regional Multiple Listing Service. All rights reserved. Evelyn AV Lot 201
California City, CA









