$3,800
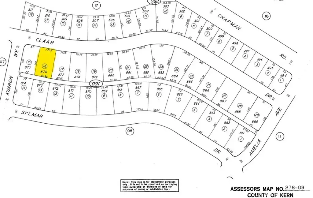
Claar Lot 876
California City, CA, 93505
Seize the opportunity to own this 11,164 sq. ft. residential multifamily-zoned lot. Located just off Rutgers Rd, this prime lot offers easy access to main roads, shopping, and local amenities, making it an ideal spot for building your dream home or investment property. Outdoor enthusiasts will love the proximity to BLM land, known for its OHV trails, camping, and breathtaking desert scenery. With nearby homes already developed, this property presents incredible potential for future appreciation. Whether you’re looking to build, invest, or develop, this lot offers a fantastic opportunity
Property Details
Price:
$3,800
MLS #:
SR25135771
Status:
Active
Beds:
0
Baths:
0
Type:
Land
Neighborhood:
caccaliforniacity
Listed Date:
Jan 17, 2026
Lot Size:
11,163 sqft / 0.26 acres (approx)
Schools
Interior
Exterior
Community Features
RUR, MTN
Financial
Get Out There, A Simply Outgoing Approach to Life. James Outland Jr. is one of those rare people who simply has an outgoing approach to life. No matter the activity… from dune buggy riding to skydiving to motorcycling to riding the local Pismo Beach waves… James Outland Jr. approaches life with a “just get out there and do it” kind of attitude. A zest for Life. James’ zest for life is obviously apparent in his many exciting hobbies. In his spare time, he loves riding dune buggies or hi…
More About JamesMortgage Calculator
Map
Current real estate data for Land in California City as of Feb 13, 2026
579
Land Listed
362
Avg DOM
$34,961
Avg List Price
Community
- AddressClaar Lot 876 California City CA
- CityCalifornia City
- CountyKern
- Zip Code93505
Similar Listings Nearby
Property Summary
- Claar Lot 876 California City CA is a Land for sale in California City, CA, 93505. It is listed for $3,800 and features 0 acres. To schedule a showing of MLS#sr25135771 at Claar Lot 876 in California City, CA, contact your James Outland agent at 8057482262.
Courtesy of Coldwell Banker Quality Properties. Disclaimer: All data relating to real estate for sale on this page comes from the Broker Reciprocity (BR) of the California Regional Multiple Listing Service. Detailed information about real estate listings held by brokerage firms other than James Outland include the name of the listing broker. Neither the listing company nor James Outland shall be responsible for any typographical errors, misinformation, misprints and shall be held totally harmless. The Broker providing this data believes it to be correct, but advises interested parties to confirm any item before relying on it in a purchase decision. Copyright 2026. California Regional Multiple Listing Service. All rights reserved. Claar Lot 876
California City, CA













