$3,750,000
-2222 Grant ST
Berkeley, CA, 94703
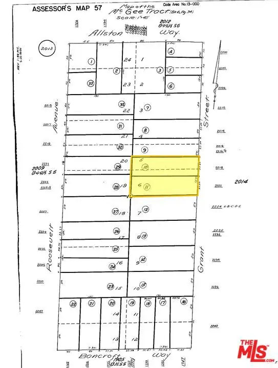
Vacant, adjacent land lots, 2218 & 2222 Grant St., zoned R-2 Berkeley Residence, recent zoning change allowing for more entitlements, offering an excellent redevelopment opportunity for multifamily or student housing. The property provides a clean slate for development in a desirable area with strong housing demand. Ideal for investors and developers seeking proximity to local amenities and educational institutions, 0.6mi from UC Berkeley, one of the most prestigious schools in the country, and 0.5mi from the downtown Berkeley BART station, offering benefits from CA SB-79. Two vacant homes on 9,980 sq ft of land total between the two lots. This R-2 zoned site is eligible for significant new density under Berkeley’s recently passed, Middle Housing Ordinance and when coupled with density bonus and proximity to mass transit (CA SB 79) a developer could build anywhere from 16 to 28 units in 3 to 6 stories without any parking. Height and density will be determined by affordable restrictions. There are no parking requirements for this site, as it’s walking distance to UC Berkeley, retail and public transportation. This site is currently unentitled and provides a developer to design a project that takes advantage of Berkeley’s recent changes in zoning. Rare, assembled development site in central Berkeley positioned to capitalize on California SB 79, which takes effect January 1, 2026. This legislation unlocks ministerial approval and unprecedented density for projects, like this one, within 1/2 mile of major transit, bypassing Berkeley’s historically restrictive local zoning. APNS: 057-2013-010 & 057-2013-011
Property Details
Price:
$3,750,000
MLS #:
25618269
Status:
Active
Beds:
0
Baths:
0
Type:
Land
Neighborhood:
berkberkeley
Listed Date:
Nov 12, 2025
Lot Size:
9,980 sqft / 0.23 acres (approx)
Schools
Interior
Exterior
View
NO
Financial
Get Out There, A Simply Outgoing Approach to Life. James Outland Jr. is one of those rare people who simply has an outgoing approach to life. No matter the activity… from dune buggy riding to skydiving to motorcycling to riding the local Pismo Beach waves… James Outland Jr. approaches life with a “just get out there and do it” kind of attitude. A zest for Life. James’ zest for life is obviously apparent in his many exciting hobbies. In his spare time, he loves riding dune buggies or hi…
More About JamesMortgage Calculator
Map
Community
- Address-2222 Grant ST Berkeley CA
- CityBerkeley
- CountyAlameda
- Zip Code94703
Similar Listings Nearby
Property Summary
- -2222 Grant ST Berkeley CA is a Land for sale in Berkeley, CA, 94703. It is listed for $3,750,000 and features 0 acres. To schedule a showing of MLS#25618269 at -2222 Grant ST in Berkeley, CA, contact your James Outland agent at 8057482262.
Courtesy of David Ballin Kaufman. Disclaimer: All data relating to real estate for sale on this page comes from the Broker Reciprocity (BR) of the California Regional Multiple Listing Service. Detailed information about real estate listings held by brokerage firms other than James Outland include the name of the listing broker. Neither the listing company nor James Outland shall be responsible for any typographical errors, misinformation, misprints and shall be held totally harmless. The Broker providing this data believes it to be correct, but advises interested parties to confirm any item before relying on it in a purchase decision. Copyright 2026. California Regional Multiple Listing Service. All rights reserved. -2222 Grant ST
Berkeley, CA










