$1,085,000
2400 Ramona Road
Atascadero, CA, 93422
Incredible Development Opportunity – 2 Acres with Highway 101 Visibility
Flat and usable 2-acre parcel in prime North Atascadero that is already seeing dynamic new development activity and infrastructure investment. Seconds from the Del Rio bridge across the highway from new development (Valley Fresh) and on the same side of highway as the upcoming Barrel Creek Project on Del Rio. With approx. 200 feet of frontage along the well-traveled corridor with excellent visibility from Highway 101, this parcel offers outstanding exposure for future commercial or mixed-use development. Just minutes from Templeton and surrounded by exciting new development, this site is ideally situated for long-term investment or near-term development. The City of Atascadero has included this parcel in its General Plan Update, with proposed rezoning to “Mixed Use”, a forward-thinking designation aimed at boosting economic growth, creativity, and flexible land use. General Plan Update anticipated Q2 2026 – buyer to verify.
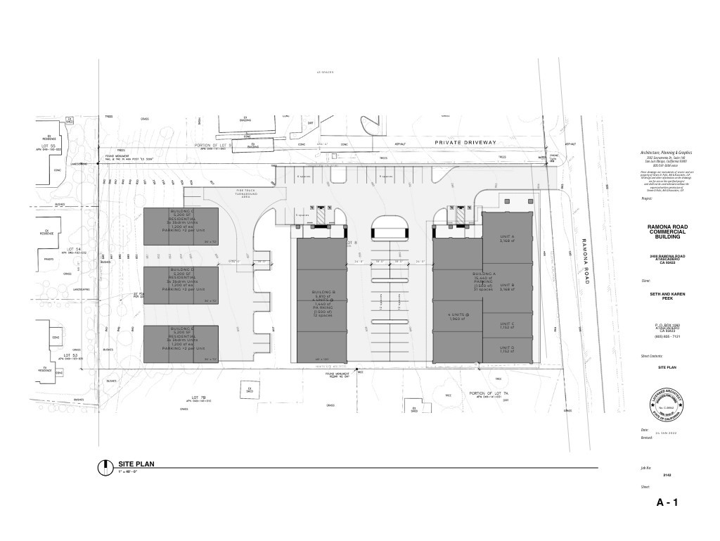
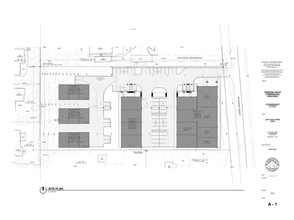
Sellers have completed a Topographic Survey and have conceptual drawings for a 36,000+ sq ft mixed-use project featuring 4 office units, 8 light industrial/commercial units, and 3 residential tri-plexes. Parcel dimensions approx. 200’ x 440’.
Seller financing available with approx. 50% down, an incredible opportunity to secure this premier parcel with flexible terms. Don’t miss this rare opportunity to invest in one of the Central Coast’s most promising growth areas.
Flat and usable 2-acre parcel in prime North Atascadero that is already seeing dynamic new development activity and infrastructure investment. Seconds from the Del Rio bridge across the highway from new development (Valley Fresh) and on the same side of highway as the upcoming Barrel Creek Project on Del Rio. With approx. 200 feet of frontage along the well-traveled corridor with excellent visibility from Highway 101, this parcel offers outstanding exposure for future commercial or mixed-use development. Just minutes from Templeton and surrounded by exciting new development, this site is ideally situated for long-term investment or near-term development. The City of Atascadero has included this parcel in its General Plan Update, with proposed rezoning to “Mixed Use”, a forward-thinking designation aimed at boosting economic growth, creativity, and flexible land use. General Plan Update anticipated Q2 2026 – buyer to verify.
Sellers have completed a Topographic Survey and have conceptual drawings for a 36,000+ sq ft mixed-use project featuring 4 office units, 8 light industrial/commercial units, and 3 residential tri-plexes. Parcel dimensions approx. 200’ x 440’.
Seller financing available with approx. 50% down, an incredible opportunity to secure this premier parcel with flexible terms. Don’t miss this rare opportunity to invest in one of the Central Coast’s most promising growth areas.
Property Details
Price:
$1,085,000
MLS #:
NS26024282
Status:
Active
Beds:
0
Baths:
0
Type:
Land
Subdivision:
ATNorthwest20
Neighborhood:
atscatascadero
Listed Date:
Feb 2, 2026
Lot Size:
87,120 sqft / 2.00 acres (approx)
Schools
Interior
Exterior
Community Features
FHL
Fencing
AVG
View
HI
Financial
Get Out There, A Simply Outgoing Approach to Life. James Outland Jr. is one of those rare people who simply has an outgoing approach to life. No matter the activity… from dune buggy riding to skydiving to motorcycling to riding the local Pismo Beach waves… James Outland Jr. approaches life with a “just get out there and do it” kind of attitude. A zest for Life. James’ zest for life is obviously apparent in his many exciting hobbies. In his spare time, he loves riding dune buggies or hi…
More About JamesMortgage Calculator
Map
Current real estate data for Land in Atascadero as of Apr 07, 2026
20
Land Listed
189
Avg DOM
$1,074,876
Avg List Price
Community
- Address2400 Ramona Road Atascadero CA
- SubdivisionATNorthwest(20)
- CityAtascadero
- CountySan Luis Obispo
- Zip Code93422
Similar Listings Nearby
Property Summary
- Located in the ATNorthwest(20) subdivision, 2400 Ramona Road Atascadero CA is a Land for sale in Atascadero, CA, 93422. It is listed for $1,085,000 and features 2 acres. To schedule a showing of MLS#ns26024282 at 2400 Ramona Road in Atascadero, CA, contact your James Outland agent at 8057482262.
Courtesy of Peek Realty. Disclaimer: All data relating to real estate for sale on this page comes from the Broker Reciprocity (BR) of the California Regional Multiple Listing Service. Detailed information about real estate listings held by brokerage firms other than James Outland include the name of the listing broker. Neither the listing company nor James Outland shall be responsible for any typographical errors, misinformation, misprints and shall be held totally harmless. The Broker providing this data believes it to be correct, but advises interested parties to confirm any item before relying on it in a purchase decision. Copyright 2026. California Regional Multiple Listing Service. All rights reserved. 2400 Ramona Road
Atascadero, CA























































