$85,000
Colusa RD
Adelanto, CA, 92301
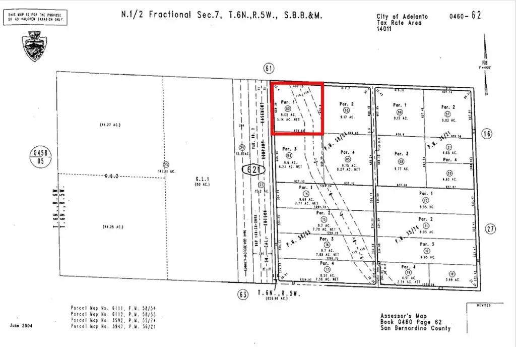
±9.02 acres vacant land parcel situated along the south side of Colusa Rd at the southeast corner of Raccoon Ave zoned Desert Living 2.5 (DL 2.5) allowing for once primary single-family residence per 2.5 acres. This parcel is located within the City of Adelanto boundaries approx. 1.3 miles west of US HWY 395. The Buddhist Mediation Center is 1,800 feet south of Colusa Rd on the east side of US HWY 395 in very close proximity to this offering. Southern California Logistics Airport is 3 miles east of this parcel. Newly developed 1,000ac Bady Mesa Solar & Storage Project surrounds this site. Beautiful and serene desert landscape. Excellent investment potential.
Property Details
Price:
$85,000
MLS #:
HD25026604
Status:
Active
Beds:
0
Baths:
0
Type:
Land
Neighborhood:
adladelanto
Listed Date:
Feb 5, 2025
Lot Size:
392,911 sqft / 9.02 acres (approx)
Schools
Interior
Exterior
Community Features
RUR
View
DE, MT
Financial
Get Out There, A Simply Outgoing Approach to Life. James Outland Jr. is one of those rare people who simply has an outgoing approach to life. No matter the activity… from dune buggy riding to skydiving to motorcycling to riding the local Pismo Beach waves… James Outland Jr. approaches life with a “just get out there and do it” kind of attitude. A zest for Life. James’ zest for life is obviously apparent in his many exciting hobbies. In his spare time, he loves riding dune buggies or hi…
More About JamesMortgage Calculator
Map
Community
- AddressColusa RD Adelanto CA
- CityAdelanto
- CountySan Bernardino
- Zip Code92301
Similar Listings Nearby
Property Summary
- Colusa RD Adelanto CA is a Land for sale in Adelanto, CA, 92301. It is listed for $85,000 and features 9 acres. To schedule a showing of MLS#hd25026604 at Colusa RD in Adelanto, CA, contact your James Outland agent at 8057482262.
Courtesy of Kursch Group, Inc.. Disclaimer: All data relating to real estate for sale on this page comes from the Broker Reciprocity (BR) of the California Regional Multiple Listing Service. Detailed information about real estate listings held by brokerage firms other than James Outland include the name of the listing broker. Neither the listing company nor James Outland shall be responsible for any typographical errors, misinformation, misprints and shall be held totally harmless. The Broker providing this data believes it to be correct, but advises interested parties to confirm any item before relying on it in a purchase decision. Copyright 2026. California Regional Multiple Listing Service. All rights reserved. Colusa RD
Adelanto, CA







